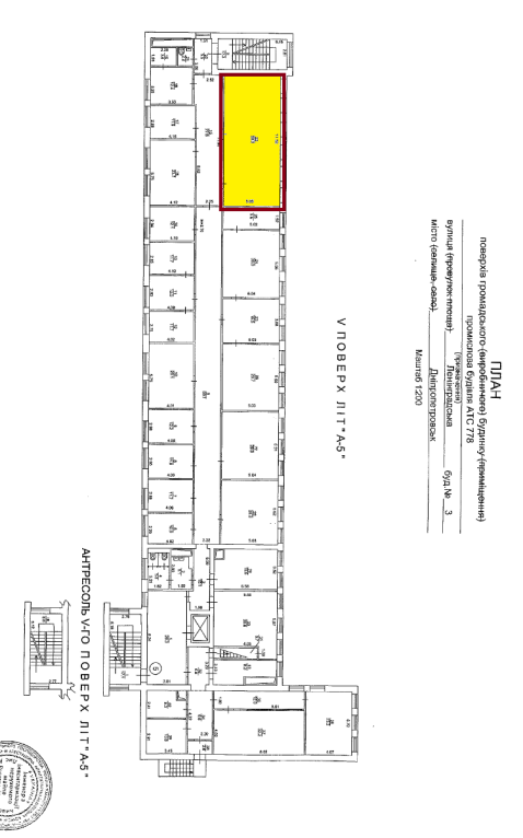
Дніпропетровська обл., м. Дніпро, вул. Князя Ярослава Мудрого, 3. Оренда – приміщення 5-го поверху площею 58,20 кв.м. (В)

3 887.76 грн
66.80 грн / м2
Україна, Дніпропетровська обл., м. Дніпро, вул. Князя Ярослава Мудрого, 3
Перейти до аукціону на сайті
  • Інформація
  • Опис
  • Документи
Дата оголошення пропозиції:
08 липня 2022
Площа:
58.20 м2
Тип об’єкта:
Приміщення
Тип аукціону:
Англійський аукціон
Статус аукціону:
Аукціон не відбувся
Тип угоди:
Оренда
Розмір мінімального кроку:
100.00 ₴
Розмір гарантійного внеску:
2 332.66 ₴
Початок прийому пропозицій:
08.07.2022 13:34:05
Завершення прийому пропозицій:
08.08.2022 20:00:00
Проведення аукціону:
09.08.2022 12:14:53
Лот:
UA-PS-2022-07-08-000010-2
№ лоту (УТК):
UTK240621_01P
Лот виставляється на торги (раз):
10
Стислий опис майна:
Пропонується до оренди приміщення 5-го поверху, площею 58,20кв.м. Розташування - будівля знаходиться в центральному районі міста. Поруч знаходяться відділення банку, театр, ресторан, парк, зупинка громадського транспорту, високий автомобільний і пішохідний потоки. Стан приміщення задовільний, підходить для офісу, студії, Ідеальне місце під розвиток будь-якого бізнесу. Можливість передачі приміщень в суборенду. Характеристики: Кількість поверхів – 5; Загальна площа – 4074,40 кв.м.; Площа запропонована до оренди – 58,20 кв.м.; Електропостачання, водопостачання, теплопостачання, охорона та обслуговування пожежної сигналізації, вивіз сміття, прибирання загальних місць та території; Земельна ділянка – 0, 203 га (договір оренди)
Адреса місцезнаходження майна:
Україна, Дніпропетровська обл., м. Дніпро, вул. Князя Ярослава Мудрого, 3
Схожі пропозиції
25.06.2024
Дніпропетровська обл, смт. Петриківка, пр. Петра Калнишевського, 52.Оренда – приміщення 1-го поверху загальною площею 102,60 кв.м (В)
2 052.60 грн
20.01 грн / м2
Приміщення
Дніпропетровська обл, смт. Петриківка, пр. Петра Калнишевського, 52.Оренда – приміщення 1-го поверху загальною площею 102,60 кв.м (В)
Україна, Дніпропетровська обл., смт. Петриківка, пр. Петра Калнишевського, 52
18.08.2023
Дніпропетровська обл., м. Дніпро, вул. Пушкіна, 75А. Оренда – приміщення 1-го поверху площею 12,00 кв.м. (В)
2 481.36 грн
206.78 грн / м2
Приміщення
Дніпропетровська обл., м. Дніпро, вул. Пушкіна, 75А. Оренда – приміщення 1-го поверху площею 12,00 кв.м. (В)
Україна, Дніпропетровська обл., м. Дніпро, вул. Пушкіна, 75А
Дніпропетровська обл., м. Дніпро, вул. Князя Ярослава Мудрого, 3. Оренда – приміщення  5-го  поверху площею 23,10 кв.м. (В)
1 928.85 грн
83.50 грн / м2
Приміщення
Дніпропетровська обл., м. Дніпро, вул. Князя Ярослава Мудрого, 3. Оренда – приміщення 5-го поверху площею 23,10 кв.м. (В)
Україна, Дніпропетровська обл., м. Дніпро, вул. Князя Ярослава Мудрого, 3
02.08.2024
Дніпропетровська обл., м. Дніпро, вул. Князя Ярослава Мудрого, 3. Оренда – приміщення 4-го поверху площею 21,60 кв.м. (В)
2 584.43 грн
119.65 грн / м2
Приміщення
Дніпропетровська обл., м. Дніпро, вул. Князя Ярослава Мудрого, 3. Оренда – приміщення 4-го поверху площею 21,60 кв.м. (В)
Україна, Дніпропетровська обл., м. Дніпро, вул. Князя Ярослава Мудрого, 3