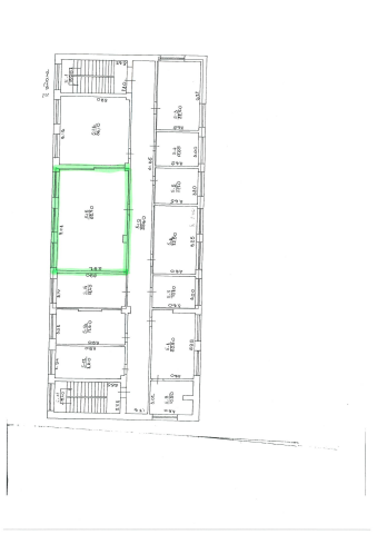
Харківська обл., м. Мерефа, вул. Дніпровська, 226 Оренда - приміщення 3 поверху 52,7 кв.м.

1 274.81 грн
24.19 грн / м2
Україна, Харківська обл., м. Мерефа, вул. Дніпровська, 226
Перейти до аукціону на сайті
  • Інформація
  • Опис
  • Документи
Дата оголошення пропозиції:
14 липня 2020
Площа:
52.70 м2
Тип об’єкта:
Приміщення
Тип аукціону:
Англійський аукціон
Статус аукціону:
Аукціон не відбувся
Тип угоди:
Оренда
Розмір мінімального кроку:
50.00 ₴
Розмір гарантійного внеску:
764.89 ₴
Початок прийому пропозицій:
14.07.2020 11:44:21
Завершення прийому пропозицій:
12.08.2020 20:00:00
Лот:
UA-PS-2020-07-14-000068-3
№ лоту (УТК):
UTK060420_14
Лот виставляється на торги (раз):
4
Стислий опис майна:
Пропонуються до оренди приміщення приміщення 3-го поверху 3-поверхової будівлі, яка знаходиться на вулиці Дніпровська, 226 в центрі міста. Характеристики кількість поверхів – 3; кількість приміщень, пропонованих до оренди – 1; опалення автономне газове, електроенергія , водопостачання та водовідведення централізоване, на поверсі є сан. кімната.
Адреса місцезнаходження майна:
Україна, Харківська обл., м. Мерефа, вул. Дніпровська, 226
Схожі пропозиції
02.04.2024
ДОВГОСТРОКОВА ОРЕНДА! Харківська обл., м. Харків, Нетіченська набережна, 8.Оренда – приміщення на 9-му поверсі загальною площею 513,50 кв.м. (В)
39 282.75 грн
76.50 грн / м2
Приміщення
ДОВГОСТРОКОВА ОРЕНДА! Харківська обл., м. Харків, Нетіченська набережна, 8.Оренда – приміщення на 9-му поверсі загальною площею 513,50 кв.м. (В)
Україна, Харківська обл., м. Харків, Нетіченська набережна, 8
03.06.2025
м. Харків, вул. Конторська,14.Оренда – приміщення 4-го поверху площею 16,6 кв.м (В)
581.00 грн
35.00 грн / м2
Приміщення
м. Харків, вул. Конторська,14.Оренда – приміщення 4-го поверху площею 16,6 кв.м (В)
Україна, Харківська обл., м. Харків, вул. Конторська,14
02.09.2025
Харківська обл., Богодухівський р-н, смт. Краснокутськ, вул. Миру, 123. Оренда – приміщення 2-го поверху площею 92,90 кв.м. (В)
1 672.20 грн
18.00 грн / м2
Приміщення
Харківська обл., Богодухівський р-н, смт. Краснокутськ, вул. Миру, 123. Оренда – приміщення 2-го поверху площею 92,90 кв.м. (В)
Україна, Харківська обл., Богодухівський р-н, смт. Краснокутськ, вул. Миру, 123
21.03.2025
м. Харків, вул. Амосова,13 в. Оренда – приміщення 4-го поверху площею 55,3 кв.м (В)
3 590.08 грн
64.92 грн / м2
Приміщення
м. Харків, вул. Амосова,13 в. Оренда – приміщення 4-го поверху площею 55,3 кв.м (В)
Україна, Харківська обл., м. Харків, вул. Амосова,13 в
Переглянуті пропозиції
07.11.2024
Рівненська обл., Рівненський р-н, с. Олександрія, вулиця Свято-Преображенська, 64 . Оренда – нежитлові приміщення 1 –го та 2 –го поверху загальною площею 433,6 кв. м. (В)
3 121.92 грн
7.20 грн / м2
Приміщення
Рівненська обл., Рівненський р-н, с. Олександрія, вулиця Свято-Преображенська, 64 . Оренда – нежитлові приміщення 1 –го та 2 –го поверху загальною площею 433,6 кв. м. (В)
Україна, Рівненська обл., Рівненський р-н, с. Олександрія, вулиця Свято-Преображенська, 64
18.04.2025
м. Харків, Нетіченська набережна, 8. Оренда – приміщення 3-го поверху площею 11,20 кв.м  (В)
856.80 грн
76.50 грн / м2
Приміщення
м. Харків, Нетіченська набережна, 8. Оренда – приміщення 3-го поверху площею 11,20 кв.м (В)
Україна, Харківська обл., м. Харків, Нетіченська набережна, 8