Львівська обл., м. Винники, вул. Сухомлинського,2. Оренда – приміщення 1-го та 2-го поверху площею 435,7 кв.м. (В)

16 521.74 грн
37.92 грн / м2
Україна, Львівська обл., м. Винники, вул. Сухомлинського, 2
Перейти до аукціону на сайті
  • Інформація
  • Опис
  • Документи
Дата оголошення пропозиції:
22 жовтня 2021
Площа:
435.70 м2
Тип об’єкта:
Приміщення
Тип аукціону:
Англійський аукціон
Статус аукціону:
Аукціон не відбувся
Тип угоди:
Оренда
Розмір мінімального кроку:
450.00 ₴
Розмір гарантійного внеску:
9 913.04 ₴
Початок прийому пропозицій:
22.10.2021 13:13:54
Завершення прийому пропозицій:
22.11.2021 20:00:00
Лот:
UA-PS-2021-10-22-000050-1
№ лоту (УТК):
UTK150721_02C
Лот виставляється на торги (раз):
4
Стислий опис майна:
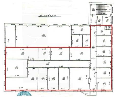
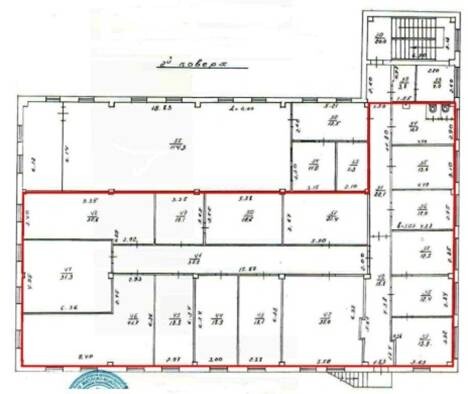
Пропонуються приміщення 1-го та 2-го поверху площею 435,7 кв.м.. І поверх – 35,5 кв.м., ІІ поверх – 400,2 кв.м.,. Будівля знаходиться недалеко від центральної частини міста, розвинена інфраструктура, окремий вхід Характеристики кількість поверхів – 2 Вільна до використання потужність – 20 кВт Опалення - власна котельна, електропостачання,водопостачання, газопостачання, водовідведення – централізоване, технічна охорона. земельна ділянка – 0,2376 га (договір оренди)
Адреса місцезнаходження майна:
Україна, Львівська обл., м. Винники, вул. Сухомлинського, 2
Схожі пропозиції
Львівська обл., м. Львів, вул. Берестяна, 2. Оренда – приміщення  1-го поверху площею 121,60 кв.м. (В)
17 291.52 грн
142.20 грн / м2
Приміщення
Львівська обл., м. Львів, вул. Берестяна, 2. Оренда – приміщення 1-го поверху площею 121,60 кв.м. (В)
Україна, Львівська обл., м. Львів, вул. Берестяна, 2
Львівська обл., м. Борислав, вул. Д.Галицького,32. Оренда – приміщення 1-го поверху площею 184,71 кв.м. (В)
17 810.62 грн
96.42 грн / м2
Приміщення
Львівська обл., м. Борислав, вул. Д.Галицького,32. Оренда – приміщення 1-го поверху площею 184,71 кв.м. (В)
Україна, Львівська обл., м. Борислав, вул. Д.Галицького,32
15.09.2023
Львівська обл., смт. Добротвір, вул. Шевченка, 3. Оренда – приміщення 2-го поверху площею 36,40 кв. м. (В)
501.59 грн
13.78 грн / м2
Приміщення
Львівська обл., смт. Добротвір, вул. Шевченка, 3. Оренда – приміщення 2-го поверху площею 36,40 кв. м. (В)
Україна, Львівська обл., смт. Добротвір, вул. Шевченка, 3
24.02.2023
Львівська обл., Стрийський р-н, м. Жидачів, пл. Свободи, 8. Оренда – приміщення 2-го поверху площею 224,40 кв.м. (В)
3 554.50 грн
15.84 грн / м2
Приміщення
Львівська обл., Стрийський р-н, м. Жидачів, пл. Свободи, 8. Оренда – приміщення 2-го поверху площею 224,40 кв.м. (В)
Україна, Львівська обл., Стрийський р-н, м. Жидачів, пл. Свободи, 8
Переглянуті пропозиції
28.12.2023
Львівська обл., с. Верин, вул. Є. Коновальця, 14;   Оренда – приміщення 1-го поверху площею 22,3 кв. м (В)
605.89 грн
27.17 грн / м2
Приміщення
Львівська обл., с. Верин, вул. Є. Коновальця, 14; Оренда – приміщення 1-го поверху площею 22,3 кв. м (В)
Україна, Львівська обл., Верин, вулиця Євгена Коновальця, 14
Львівська обл., м. Стрий, вул. Поштова, 5. Оренда – приміщення 3-го поверху площею 114,60 кв. м. (В)
2 062.80 грн
18.00 грн / м2
Приміщення
Львівська обл., м. Стрий, вул. Поштова, 5. Оренда – приміщення 3-го поверху площею 114,60 кв. м. (В)
Україна, Львівська обл., м. Стрий, вул. Поштова, 5
06.06.2025
Дніпропетровська обл., м. Дніпро, вул. Князя Ярослава Мудрого, 3. Оренда – приміщення 5-го поверху площею 12,10 кв.м. (В)
605.00 грн
50.00 грн / м2
Приміщення
Дніпропетровська обл., м. Дніпро, вул. Князя Ярослава Мудрого, 3. Оренда – приміщення 5-го поверху площею 12,10 кв.м. (В)
Україна, Дніпропетровська обл., м. Дніпро, вул. Князя Ярослава Мудрого, 3