Львівська обл., м. Львів, вул. Виговського, 29а. Оренда – приміщення 2-го поверху площею 121,10 кв.м (В)

7 697.12 грн
63.56 грн / м2
Україна, Львівська обл., м. Львів, вул. Виговського, 29а
Перейти до аукціону на сайті
  • Інформація
  • Опис
  • Документи
Дата оголошення пропозиції:
20 січня 2023
Площа:
121.10 м2
Тип об’єкта:
Приміщення
Тип аукціону:
Англійський аукціон
Статус аукціону:
Аукціон не відбувся
Тип угоди:
Оренда
Розмір мінімального кроку:
200.00 ₴
Розмір гарантійного внеску:
4 618.27 ₴
Початок прийому пропозицій:
20.01.2023 13:27:38
Завершення прийому пропозицій:
21.02.2023 20:00:00
Проведення аукціону:
22.02.2023 12:40:00
Лот:
CLE001-UA-20230120-50051
№ лоту (УТК):
UTK140322_12P
Лот виставляється на торги (раз):
9
Стислий опис майна:
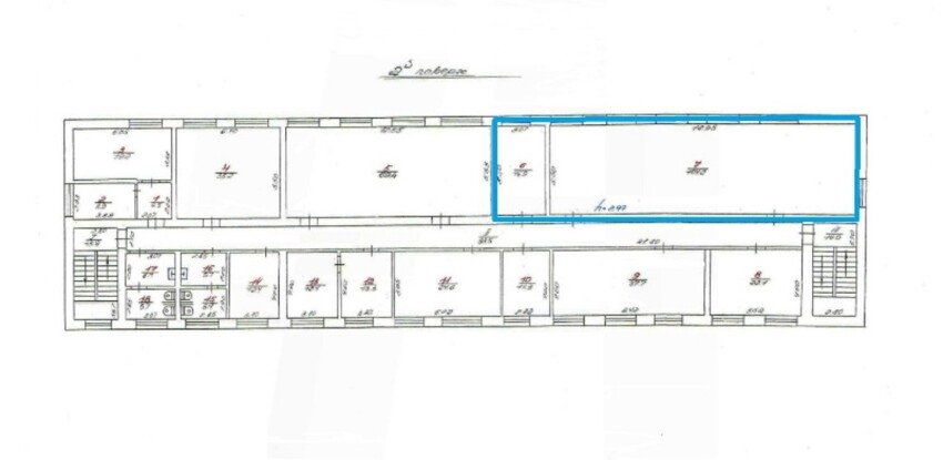
Пропонуються до оренди приміщення 2-го поверху площею 121,10 кв.м. Будівля знаходиться у прицентральній частині міста, в районі з розвиненою інфраструктурою і відмінною транспортною розв’язкою. Стан приміщення задовільний. Характеристики: кількість поверхів – 3 опалення централізоване, водопостачання, електропостачання, каналізаційна мережа Вільне до споживання електропостачання – 50 кВт земельна ділянка – 0,2057га (договір оренди)
Адреса місцезнаходження майна:
Україна, Львівська обл., м. Львів, вул. Виговського, 29а
Схожі пропозиції
01.03.2023
Львівська обл., м. Трускавець, вул. Героїв УПА, 11. Оренда – приміщення 1-го поверху площею 19,50 кв.м. (В)
1 741.74 грн
89.32 грн / м2
Приміщення
Львівська обл., м. Трускавець, вул. Героїв УПА, 11. Оренда – приміщення 1-го поверху площею 19,50 кв.м. (В)
Україна, Львівська обл., м. Трускавець, вул. Героїв УПА, 11
28.09.2023
Львівська обл., м. Новий Розділ, пр. Шевченка, 30. Оренда – приміщення 2-го поверху, площею 17,80 кв. м. (В)
356.00 грн
20.00 грн / м2
Приміщення
Львівська обл., м. Новий Розділ, пр. Шевченка, 30. Оренда – приміщення 2-го поверху, площею 17,80 кв. м. (В)
Україна, Львівська обл., м. Новий Розділ, пр. Шевченка, 30
Львівська обл., м. Новий Розділ,  пр. Шевченка, 30. Оренда – приміщення  3-го поверху 158,4 кв.м.
2 756.16 грн
17.40 грн / м2
Приміщення
Львівська обл., м. Новий Розділ, пр. Шевченка, 30. Оренда – приміщення 3-го поверху 158,4 кв.м.
Україна, Львівська обл., м. Новий Розділ, пр. Шевченка, 30
Львівська обл., м. Сколе, вул. Д. Галицького, 18. Оренда – приміщення 2-го поверху
9 729.72 грн
19.80 грн / м2
Приміщення
Львівська обл., м. Сколе, вул. Д. Галицького, 18. Оренда – приміщення 2-го поверху
Україна, Львівська обл., м. Сколе, вул. Д. Галицького, 18
Переглянуті пропозиції
22.04.2025
м.Харків, Салтівське шосе,2. Оренда – приміщення 1-го поверху, площею 41,00 кв.м (В)
1 271.00 грн
31.00 грн / м2
Приміщення
м.Харків, Салтівське шосе,2. Оренда – приміщення 1-го поверху, площею 41,00 кв.м (В)
Україна, Харківська обл., м. Харків, Салтівське шосе,2