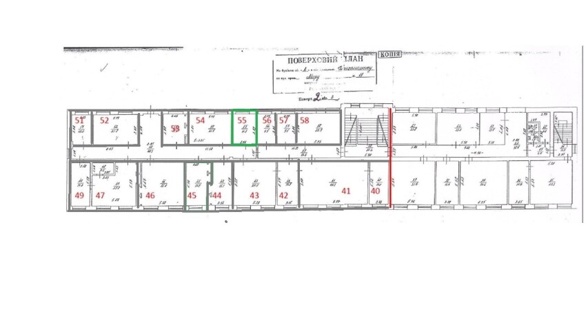
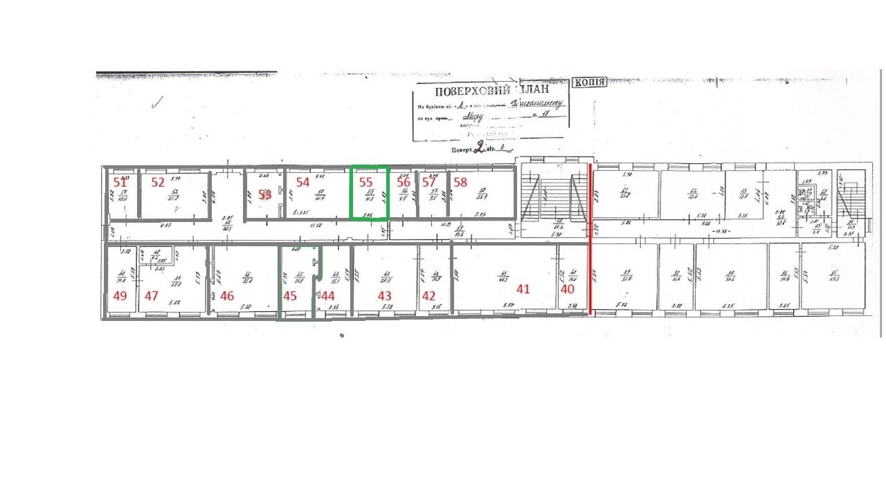
Полтавська обл., Кременчуцький р-н, м. Горішні Плавні, вулиця Миру, 18. Оренда – приміщення 2-го поверху площею 11,80 кв.м. (В)

743.40 грн
63.00 грн / м2
Україна, Полтавська обл., Кременчуцький р-н, м. Горішні Плавні, вулиця Миру, 18
Перейти до аукціону на сайті
  • Інформація
  • Опис
  • Документи
Дата оголошення пропозиції:
15 березня 2023
Площа:
11.80 м2
Тип об’єкта:
Приміщення
Тип аукціону:
Англійський аукціон
Статус аукціону:
Аукціон не відбувся
Тип угоди:
Оренда
Розмір мінімального кроку:
30.00 ₴
Розмір гарантійного внеску:
446.04 ₴
Початок прийому пропозицій:
15.03.2023 13:08:26
Завершення прийому пропозицій:
13.04.2023 20:00:00
Проведення аукціону:
14.04.2023 11:50:00
Лот:
CLE001-UA-20230315-86680
№ лоту (УТК):
UTK120822_05P
Лот виставляється на торги (раз):
7
Стислий опис майна:
Пропонується до оренди приміщення 2-го поверху площею 11,8 кв.м. Приміщення розташоване на 2 поверсі 3-х поверхової адміністративної будівлі, яка знаходиться в центрі м. Горішні Плавні. Вхід з вулиці. Характеристики: Кількість поверхів – 3; Загальна площа – 3537,3 кв. м.; Площа запропонована до оренди 11,8 кв. м.; Опалення – відсутнє; Дозволена потужність – до 3кВт; Земельна ділянка – 0,4044 га (договір оренди землі)
Адреса місцезнаходження майна:
Україна, Полтавська обл., Кременчуцький р-н, м. Горішні Плавні, вулиця Миру, 18
Схожі пропозиції
18.07.2023
Полтавська обл., м. Лубни, проспект Володимирський, 1/5. Оренда – приміщення 2-го поверху площею 295,50 кв.м. (В)
6 105.03 грн
20.66 грн / м2
Приміщення
Полтавська обл., м. Лубни, проспект Володимирський, 1/5. Оренда – приміщення 2-го поверху площею 295,50 кв.м. (В)
Україна, Полтавська обл., м. Лубни, проспект Володимирський, 1/5
20.01.2023
Полтавська обл., Миргородський р-н., смт. Шишаки, вул. Корніліча, буд.10. Оренда – приміщення з 1-го поверху площею 44,60 кв.м. (В)
428.16 грн
9.60 грн / м2
Приміщення
Полтавська обл., Миргородський р-н., смт. Шишаки, вул. Корніліча, буд.10. Оренда – приміщення з 1-го поверху площею 44,60 кв.м. (В)
Україна, Полтавська обл., Миргородський р-н., смт. Шишаки, вул. Корніліча, буд.10
04.09.2025
Полтавська обл., м. Миргород, вул. Гоголя, 96/9. Оренда – приміщення 1-го поверху площею 139,00 кв.м
45 443.27 грн
326.93 грн / м2
Приміщення
Полтавська обл., м. Миргород, вул. Гоголя, 96/9. Оренда – приміщення 1-го поверху площею 139,00 кв.м
Україна, Полтавська обл., м. Миргород, вул. Гоголя, 96/9
Полтавська обл., м. Горішні Плавні, вул. Миру, буд. 18. Оренда приміщень 3-го поверху
983.04 грн
30.72 грн / м2
Приміщення
Полтавська обл., м. Горішні Плавні, вул. Миру, буд. 18. Оренда приміщень 3-го поверху
Україна, Полтавська обл., м. Горішні Плавні, вул. Миру, 18