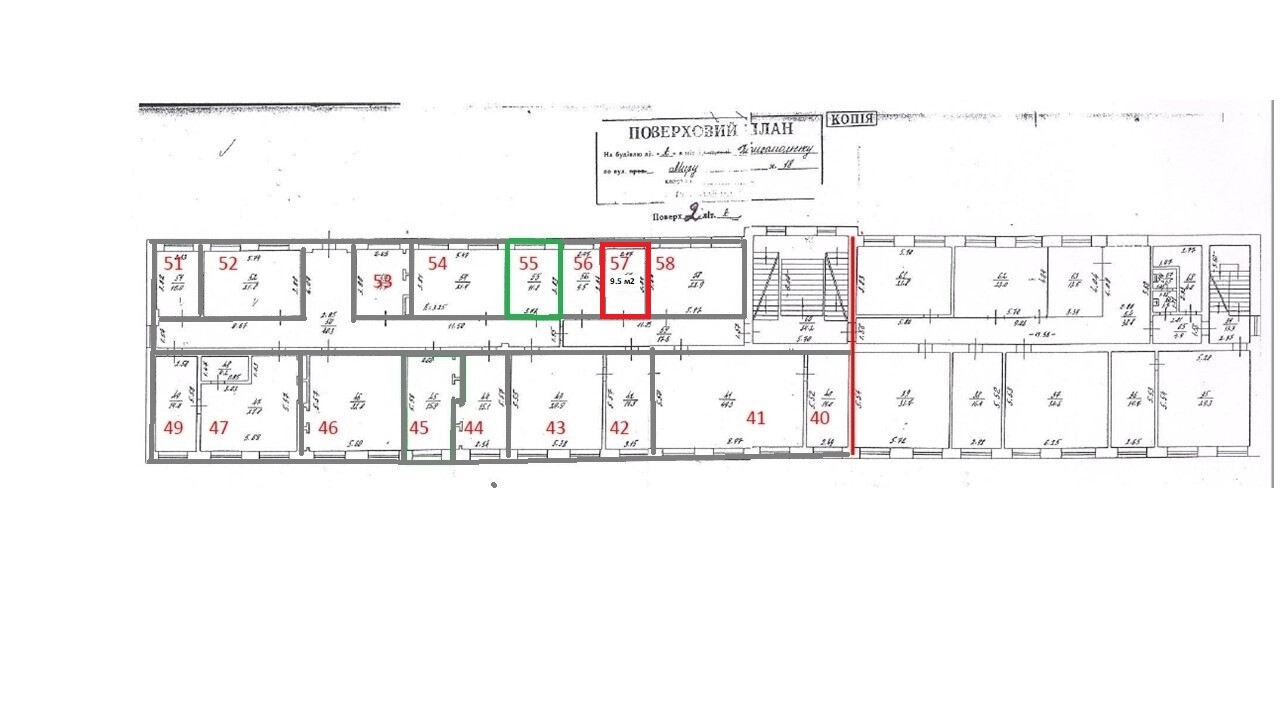
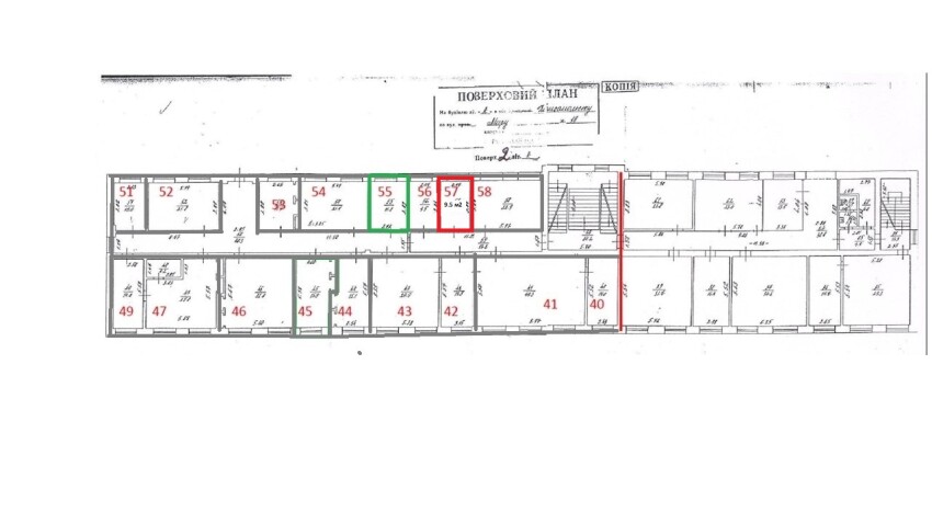
Полтавська обл., Кременчуцький р-н, м. Горішні Плавні, вулиця Миру, 18. Оренда – приміщення 2-го поверху площею 9,50 кв.м. (В)

508.73 грн
53.55 грн / м2
Україна, Полтавська обл., Кременчуцький р-н, м. Горішні Плавні, вулиця Миру, 18
Перейти до аукціону на сайті
  • Інформація
  • Опис
  • Документи
Дата оголошення пропозиції:
12 квітня 2023
Площа:
9.50 м2
Тип об’єкта:
Приміщення
Тип аукціону:
Англійський аукціон
Статус аукціону:
Аукціон не відбувся
Тип угоди:
Оренда
Розмір мінімального кроку:
50.00 ₴
Розмір гарантійного внеску:
305.24 ₴
Початок прийому пропозицій:
12.04.2023 15:04:09
Завершення прийому пропозицій:
15.05.2023 20:00:00
Проведення аукціону:
16.05.2023 11:05:00
Лот:
CLE001-UA-20230412-88140
№ лоту (УТК):
UTK211222_11P
Лот виставляється на торги (раз):
4
Стислий опис майна:
Пропонується до оренди приміщення 2-го поверху площею 9,5 кв.м. Приміщення розташоване на 2 поверсі 3-х поверхової адміністративної будівлі, яка знаходиться в центрі м. Горішні Плавні. Вхід з вулиці. Характеристики: Кількість поверхів – 3; Загальна площа – 3537,3 кв. м.; Площа запропонована до оренди 9,5 кв. м.; Опалення – відсутнє; Дозволена потужність – до 3кВт; Земельна ділянка – 0,4044 га (договір оренди землі)
Адреса місцезнаходження майна:
Україна, Полтавська обл., Кременчуцький р-н, м. Горішні Плавні, вулиця Миру, 18
Схожі пропозиції
21.01.2025
Полтавська обл., Лубенський р-н, смт. Оржиця, вулиця Центральна, 18;  Оренда – приміщення 3-го поверху загальною площею 74,00 кв.м. (В)
26.11.2025
Полтавська обл., смт. Шишаки, вулиця Корнілича, 10. Оренда – приміщення підвального поверху загальною площею 60,00 кв.м. (В)
720.00 грн
12.00 грн / м2
Приміщення
Полтавська обл., смт. Шишаки, вулиця Корнілича, 10. Оренда – приміщення підвального поверху загальною площею 60,00 кв.м. (В)
Україна, Полтавська обл., смт. Шишаки, вул. Корнілича, 10
19.12.2024
  Полтавська обл., Кременчуцький район, с. Кияшки, вулиця Набережна, 2 «в»; Оренда – приміщення бази відпочинку загальною площею 1317,90 кв.м. (В)
15.10.2025
Полтавська обл., Кременчуцький р-н., смт. Семенівка, вул. Воїнів Інтернаціоналістів, 12/9. Оренда – Приміщення 3-го поверху площею 105,6 кв.м. (В)
1 267.20 грн
12.00 грн / м2
Приміщення
Полтавська обл., Кременчуцький р-н., смт. Семенівка, вул. Воїнів Інтернаціоналістів, 12/9. Оренда – Приміщення 3-го поверху площею 105,6 кв.м. (В)
Україна, Полтавська обл., Кременчуцький р-н., смт. Семенівка, вул. Воїнів Інтернаціоналістів, 12/9