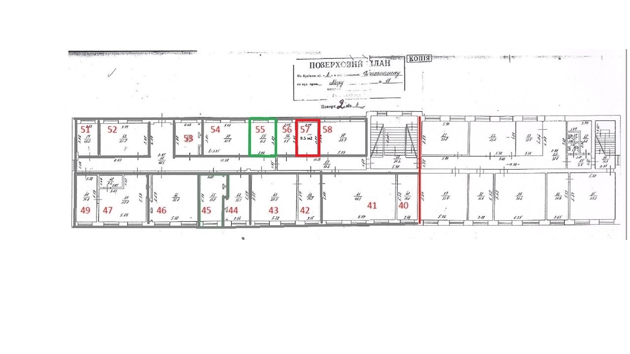
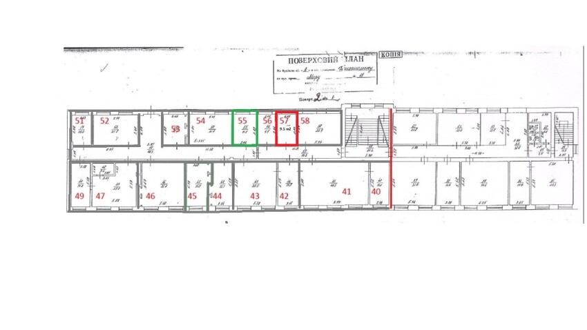
Полтавська обл., Кременчуцький р-н, м. Горішні Плавні, вулиця Миру, 18. Оренда – приміщення 2-го поверху площею 9,50 кв.м. (В)

508.73 грн
53.55 грн / м2
Україна, Полтавська обл., Кременчуцький р-н, м. Горішні Плавні, вулиця Миру, 18
Перейти до аукціону на сайті
  • Інформація
  • Опис
  • Документи
Дата оголошення пропозиції:
18 травня 2023
Площа:
9.50 м2
Тип об’єкта:
Приміщення
Тип аукціону:
Англійський аукціон
Статус аукціону:
Аукціон не відбувся
Тип угоди:
Оренда
Розмір мінімального кроку:
50.00 ₴
Розмір гарантійного внеску:
305.24 ₴
Початок прийому пропозицій:
18.05.2023 16:53:15
Завершення прийому пропозицій:
21.06.2023 20:00:00
Проведення аукціону:
22.06.2023 11:50:00
Лот:
CLE001-UA-20230518-01033
№ лоту (УТК):
UTK211222_11P
Лот виставляється на торги (раз):
5
Стислий опис майна:
Пропонується до оренди приміщення 2-го поверху площею 9,5 кв.м. Приміщення розташоване на 2 поверсі 3-х поверхової адміністративної будівлі, яка знаходиться в центрі м. Горішні Плавні. Вхід з вулиці. Характеристики: Кількість поверхів – 3; Загальна площа – 3537,3 кв. м.; Площа запропонована до оренди 9,5 кв. м.; Опалення – відсутнє; Дозволена потужність – до 3кВт; Земельна ділянка – 0,4044 га (договір оренди землі)
Адреса місцезнаходження майна:
Україна, Полтавська обл., Кременчуцький р-н, м. Горішні Плавні, вулиця Миру, 18
Схожі пропозиції
08.12.2022
Полтавська обл., Кременчуцький р-н., смт. Семенівка, вул. Воїнів Інтернаціоналістів, 12/9. Оренда – приміщення 3-го поверху площею 93,0 кв.м. (В)
993.24 грн
10.68 грн / м2
Приміщення
Полтавська обл., Кременчуцький р-н., смт. Семенівка, вул. Воїнів Інтернаціоналістів, 12/9. Оренда – приміщення 3-го поверху площею 93,0 кв.м. (В)
Україна, Полтавська обл., Кременчуцький р-н., смт. Семенівка, вул. Воїнів Інтернаціоналістів, 12/9
17.01.2023
Полтавська обл., Полтавський р-н, смт. Чутове, вул. Центральна, 24. Оренда – Приміщення 1-го поверху площею 6,10 кв.м. (В)
363.56 грн
59.60 грн / м2
Приміщення
Полтавська обл., Полтавський р-н, смт. Чутове, вул. Центральна, 24. Оренда – Приміщення 1-го поверху площею 6,10 кв.м. (В)
Україна, Полтавська обл., Полтавський р-н, смт. Чутове, вул. Центральна, 24
Полтавська обл., смт. Семенівка, вул. Воїнів Інтернаціоналістів, буд. 1. Оренда – приміщення 1-го поверху площею 31,6 кв.м.
517.61 грн
16.38 грн / м2
Приміщення
Полтавська обл., смт. Семенівка, вул. Воїнів Інтернаціоналістів, буд. 1. Оренда – приміщення 1-го поверху площею 31,6 кв.м.
Україна, Полтавська обл., смт. Семенівка, вул. Воїнів Інтернаціоналістів, буд. 1
27.10.2023
Полтавська обл., м. Лубни, проспект Володимирський, 1/5. Оренда – приміщення 2-го поверху площею 295,50 кв.м. (В)
6 105.03 грн
20.66 грн / м2
Приміщення
Полтавська обл., м. Лубни, проспект Володимирський, 1/5. Оренда – приміщення 2-го поверху площею 295,50 кв.м. (В)
Україна, Полтавська обл., м. Лубни, проспект Володимирський, 1/5