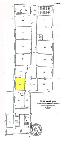
м. Харків, вул. Конторська,14.Оренда – приміщення 4-го поверху площею 16,6 кв.м (В)

1 643.40 грн
99.00 грн / м2
Україна, Харківська обл., м. Харків, вул. Конторська,14
Перейти до аукціону на сайті
  • Інформація
  • Опис
  • Документи
Дата оголошення пропозиції:
07 липня 2023
Площа:
16.60 м2
Тип об’єкта:
Приміщення
Тип аукціону:
Англійський аукціон
Статус аукціону:
Аукціон не відбувся
Тип угоди:
Оренда
Розмір мінімального кроку:
50.00 ₴
Розмір гарантійного внеску:
986.04 ₴
Початок прийому пропозицій:
07.07.2023 11:39:03
Завершення прийому пропозицій:
08.08.2023 20:00:00
Проведення аукціону:
09.08.2023 11:40:00
Лот:
CLE001-UA-20230707-95846
№ лоту (УТК):
UTK070723_06P
Лот виставляється на торги (раз):
1
Стислий опис майна:
Пропонується до оренди приміщення 4-го поверху площею 16,6 кв.м. Будівля в центрі міста Харкова. 15 хв до метро Центральний ринок. Характеристики: Кількість поверхів – 4; Загальна площа – 5611,00 кв.м_ Площа запропонована до оренди -16,6 кв.м Дозволена потужність – 3 кВт Теплопостачання-централізоване Земельна ділянка – 0,5169 га
Адреса місцезнаходження майна:
Україна, Харківська обл., м. Харків, вул. Конторська,14
Схожі пропозиції
17.11.2023
м. Харків, вул. Амосова,13-в.Оренда – приміщення 5-го поверху площею 55,2 кв.м (В)
3 352.85 грн
60.74 грн / м2
Приміщення
м. Харків, вул. Амосова,13-в.Оренда – приміщення 5-го поверху площею 55,2 кв.м (В)
Україна, Харківська обл., м. Харків, вул. Амосова,13-в
27.09.2024
Харківська обл., Харківський р-н, смт. Вільшани, вул. Центральна, 18 . Оренда – приміщення 2-го поверху площею 49,60 кв.м. (В)
506.91 грн
10.22 грн / м2
Приміщення
Харківська обл., Харківський р-н, смт. Вільшани, вул. Центральна, 18 . Оренда – приміщення 2-го поверху площею 49,60 кв.м. (В)
Україна, Харківська обл., Харківський р-н, смт. Вільшани, вул. Центральна, 18
19.03.2024
Харківська обл., Лозівський р-н, смт. Близнюки, вул. Свободи, 2. Оренда – приміщення 1-го поверху площею 73,10 кв.м. (В)
1 173.99 грн
16.06 грн / м2
Приміщення
Харківська обл., Лозівський р-н, смт. Близнюки, вул. Свободи, 2. Оренда – приміщення 1-го поверху площею 73,10 кв.м. (В)
Україна, Харківська обл., Лозівський р-н, смт. Близнюки, вул. Свободи, 2
Харківська обл., м. Харків, вул. Конторська, 14. Оренда – приміщення цокольного поверху площею 27,40 кв.м. (В)
707.19 грн
25.81 грн / м2
Приміщення
Харківська обл., м. Харків, вул. Конторська, 14. Оренда – приміщення цокольного поверху площею 27,40 кв.м. (В)
Україна, Харківська обл., м. Харків, вул. Конторська, 14