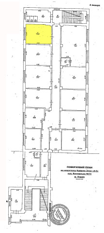
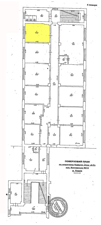
м. Харків, вул. Конторська,14.Оренда – приміщення 4-го поверху площею 25,9 кв.м (В)

2 564.10 грн
99.00 грн / м2
Україна, Харківська обл., м. Харків, вул. Конторська,14
Перейти до аукціону на сайті
  • Інформація
  • Опис
  • Документи
Дата оголошення пропозиції:
07 липня 2023
Площа:
25.90 м2
Тип об’єкта:
Приміщення
Тип аукціону:
Англійський аукціон
Статус аукціону:
Аукціон не відбувся
Тип угоди:
Оренда
Розмір мінімального кроку:
50.00 ₴
Розмір гарантійного внеску:
1 538.46 ₴
Початок прийому пропозицій:
07.07.2023 11:47:45
Завершення прийому пропозицій:
08.08.2023 20:00:00
Проведення аукціону:
09.08.2023 11:35:00
Лот:
CLE001-UA-20230707-66866
№ лоту (УТК):
UTK070723_08P
Лот виставляється на торги (раз):
1
Стислий опис майна:
Пропонується до оренди приміщення 4-го поверху площею 25,9 кв.м. Будівля в центрі міста Харкова. 15 хв до метро Центральний ринок. Характеристики: Кількість поверхів – 4; Загальна площа – 5611,00 кв.м_ Площа запропонована до оренди – 25,9 кв.м Дозволена потужність – 4 кВт Теплопостачання - відсутнє Земельна ділянка – 0,5169 га
Адреса місцезнаходження майна:
Україна, Харківська обл., м. Харків, вул. Конторська,14
Схожі пропозиції
27.09.2024
Харківська обл., смт. Великий Бурлук, вул. Центральна, 5. Оренда – приміщення на 1-му поверсі площею 52,7 кв.м. (В)
632.40 грн
12.00 грн / м2
Приміщення
Харківська обл., смт. Великий Бурлук, вул. Центральна, 5. Оренда – приміщення на 1-му поверсі площею 52,7 кв.м. (В)
Україна, Харківська обл., смт. Великий Бурлук, вул. Центральна, 5
04.03.2025
Харківська обл., Лозівський р-н, смт. Близнюки, вул. Свободи, 2. Оренда – приміщення 1-го поверху площею 73,10 кв.м. (В)
1 236.85 грн
16.92 грн / м2
Приміщення
Харківська обл., Лозівський р-н, смт. Близнюки, вул. Свободи, 2. Оренда – приміщення 1-го поверху площею 73,10 кв.м. (В)
Україна, Харківська обл., Лозівський р-н, смт. Близнюки, вул. Свободи, 2
Харківська обл., м. Харків, вул. Ак. Вальтера, 3. Оренда – приміщення 3-го поверху, площею 753,50 кв.м. (В)
34 811.70 грн
46.20 грн / м2
Приміщення
Харківська обл., м. Харків, вул. Ак. Вальтера, 3. Оренда – приміщення 3-го поверху, площею 753,50 кв.м. (В)
Україна, Харківська обл., м. Харків, вул. Ак. Вальтера, 3
03.06.2025
Харківська обл., м. Харків, Нетіченська набережна, 8. Оренда – приміщення на 2-му поверсі загальною площею 1453,40 кв.м. (В)
43 602.00 грн
30.00 грн / м2
Приміщення
Харківська обл., м. Харків, Нетіченська набережна, 8. Оренда – приміщення на 2-му поверсі загальною площею 1453,40 кв.м. (В)
Україна, Харківська обл., Харків, Нетіченська набережна 8