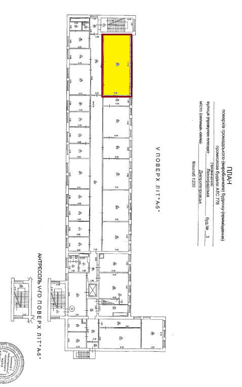
Дніпропетровська обл., м. Дніпро, вул. Князя Ярослава Мудрого, 3. Оренда – приміщення 5-го поверху площею 58,20 кв.м. (В)

1 746.00 грн
30.00 грн / м2
Україна, Дніпропетровська обл., м. Дніпро, вул. Князя Ярослава Мудрого, 3, вул. Дніпровська, 226
Перейти до аукціону на сайті
  • Інформація
  • Опис
  • Документи
Дата оголошення пропозиції:
16 лютого 2025
Площа:
58.20 м2
Тип об’єкта:
Приміщення
Тип аукціону:
Англійський аукціон
Статус аукціону:
Аукціон не відбувся
Тип угоди:
Оренда
Розмір мінімального кроку:
100.00 ₴
Розмір гарантійного внеску:
1 047.60 ₴
Початок прийому пропозицій:
16.02.2025 18:20:54
Завершення прийому пропозицій:
17.03.2025 20:00:00
Проведення аукціону:
18.03.2025 12:00:00
Лот:
CLE001-UA-20250216-28609
№ лоту (УТК):
UTK240621_01P
Лот виставляється на торги (раз):
10
Стислий опис майна:
Пропонується до оренди приміщення 5-го поверху, площею 58,20кв.м. Розташування - будівля знаходиться в центральному районі міста. Поруч знаходяться відділення банку, театр, ресторан, парк, зупинка громадського транспорту, високий автомобільний і пішохідний потоки. Стан приміщення задовільний, підходить для офісу, студії, Ідеальне місце під розвиток будь-якого бізнесу. Можливість передачі приміщень в суборенду. Характеристики: Кількість поверхів – 5; Загальна площа – 4074,40 кв.м.; Площа запропонована до оренди – 58,20 кв.м.; Електропостачання, водопостачання, теплопостачання, охорона та обслуговування пожежної сигналізації, вивіз сміття, прибирання загальних місць та території; Земельна ділянка – 0, 203 га (договір оренди)
Адреса місцезнаходження майна:
Україна, Дніпропетровська обл., м. Дніпро, вул. Князя Ярослава Мудрого, 3, вул. Дніпровська, 226
Схожі пропозиції
06.10.2023
Дніпропетровська обл., м. Дніпро, пр. Пушкіна, 75а. Оренда – приміщення 1-го поверху площею 11,5 кв.м. (В)
1 585.39 грн
137.86 грн / м2
Приміщення
Дніпропетровська обл., м. Дніпро, пр. Пушкіна, 75а. Оренда – приміщення 1-го поверху площею 11,5 кв.м. (В)
Україна, Дніпропетровська обл., Дніпро, вулиця Пушкіна, 75
14.12.2023
Дніпропетровська обл., смт Софіївка, бул. Шевченка, 17А. Оренда – приміщення гаражу (Г-2) площею 33,00 кв.м.(В)
429.00 грн
13.00 грн / м2
Приміщення
Дніпропетровська обл., смт Софіївка, бул. Шевченка, 17А. Оренда – приміщення гаражу (Г-2) площею 33,00 кв.м.(В)
Україна, Дніпропетровська обл., смт Софіївка, ул. Шевченка, 17А
05.08.2025
Оренда - приміщення 2-го поверху загальною площею 98,10 кв.м. (В) Дніпропетровська обл., м. Дніпро, вул. Князя Ярослава Мудрого, 3
16 027.58 грн
32.60 грн / м2
Приміщення
Оренда - приміщення 2-го поверху загальною площею 98,10 кв.м. (В) Дніпропетровська обл., м. Дніпро, вул. Князя Ярослава Мудрого, 3
Україна, Дніпропетровська обл., Дніпро, 49000, Дніпропетровська обл., м. Дніпро, вул. Князя Ярослава Мудрого, 3
17.05.2024
Дніпропетровська обл., м.Кривий Ріг, вул.Дніпропетровське шосе,48;   Оренда–приміщення 2-го поверху, площею 446,0 кв.м. (В)
6 859.48 грн
15.38 грн / м2
Приміщення
Дніпропетровська обл., м.Кривий Ріг, вул.Дніпропетровське шосе,48; Оренда–приміщення 2-го поверху, площею 446,0 кв.м. (В)
Україна, Дніпропетровська обл., Кривий Ріг, вулиця Дніпровське шосе, 48
Переглянуті пропозиції
23.06.2023
Дніпропетровська обл., м. Дніпро, пр. Пушкіна, 75а. Оренда – приміщення 1-го поверху площею 11,5 кв.м. (В)
805.00 грн
70.00 грн / м2
Приміщення
Дніпропетровська обл., м. Дніпро, пр. Пушкіна, 75а. Оренда – приміщення 1-го поверху площею 11,5 кв.м. (В)
Україна, Дніпропетровська обл., Дніпро, вулиця Пушкіна, 75