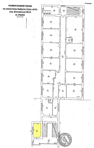
м.Харків, вул. Конторська,14. Оренда – приміщення 4-го поверху, площею 11,9 кв.м (В)

535.50 грн
45.00 грн / м2
Україна, Харківська обл., м. Харків, вул. Конторська,14
Перейти до аукціону на сайті
  • Інформація
  • Опис
  • Документи
Дата оголошення пропозиції:
20 березня 2025
Площа:
11.90 м2
Тип об’єкта:
Приміщення
Тип аукціону:
Англійський аукціон
Статус аукціону:
Аукціон не відбувся
Тип угоди:
Оренда
Розмір мінімального кроку:
50.00 ₴
Розмір гарантійного внеску:
321.30 ₴
Початок прийому пропозицій:
20.03.2025 12:06:48
Завершення прийому пропозицій:
21.04.2025 20:00:00
Проведення аукціону:
22.04.2025 12:20:00
Лот:
CLE001-UA-20250320-36432
№ лоту (УТК):
UTK260724_07P
Лот виставляється на торги (раз):
7
Стислий опис майна:
Пропонується до оренди приміщення 4-го поверху площею 11,9 кв.м. Будівля в центрі міста Харкова. 15 хв до метро Центральний ринок. Характеристики: Кількість поверхів – 4; Загальна площа – 5611,00 кв.м_ Площа запропонована до оренди – 11,9 кв.м Дозволена потужність – 0,5 кВт Теплопостачання - відсутнє Земельна ділянка – 0,5169 га
Адреса місцезнаходження майна:
Україна, Харківська обл., м. Харків, вул. Конторська,14
Схожі пропозиції
Харківська обл., м. Харків, вул. Старошишківська, 5а. Оренда – приміщення 2-го поверху
18 000.00 грн
36.00 грн / м2
Приміщення
Харківська обл., м. Харків, вул. Старошишківська, 5а. Оренда – приміщення 2-го поверху
Україна, Харківська обл., м. Харків, вул. Старошишківська, буд. 5а
16.04.2024
м.Харків, пр-т  Г. Сталінграду, 3;  Оренда – приміщення 1-го поверху площею 20,0 кв.м (П)
2 340.00 грн
117.00 грн / м2
Приміщення
м.Харків, пр-т Г. Сталінграду, 3; Оренда – приміщення 1-го поверху площею 20,0 кв.м (П)
Україна, Харківська обл., Харків, пр-т Г.Сталінграду,3 ( Байрона)
05.11.2024
м. Харків, вул.Сумгаїтська, 9а. Оренда – приміщення 1-го поверху, площею 67,1 кв.м  (В)
5 749.13 грн
85.68 грн / м2
Приміщення
м. Харків, вул.Сумгаїтська, 9а. Оренда – приміщення 1-го поверху, площею 67,1 кв.м (В)
Україна, Харківська обл., м. Харків, вул. Сумгаїтська, 9а
Харківська обл., м. Харків, вул. Академіка Вальтера, 3.Оренда – приміщення 3-го поверху площею 753,5 кв.м.(В)
3 940.81 грн
5.23 грн / м2
Приміщення
Харківська обл., м. Харків, вул. Академіка Вальтера, 3.Оренда – приміщення 3-го поверху площею 753,5 кв.м.(В)
Україна, Харківська обл., Харків, вул. Академіка Вальтера, 3
Переглянуті пропозиції
21.01.2025
Харківська обл., м. Харків, вул. Коцарська, 45, літер «А-4»;  Оренда – приміщення на 2-му поверсі загальною площею 14,30 кв.м. (В)
768.77 грн
53.76 грн / м2
Приміщення
Харківська обл., м. Харків, вул. Коцарська, 45, літер «А-4»; Оренда – приміщення на 2-му поверсі загальною площею 14,30 кв.м. (В)
Україна, Харківська обл., Харків, вулиця Коцарська, 45
28.02.2024
м.Харків, вул. Старошишківська, 5а;   Оренда – приміщення другого поверху площею 57,3 кв.м (П)
2 716.02 грн
47.40 грн / м2
Приміщення
м.Харків, вул. Старошишківська, 5а; Оренда – приміщення другого поверху площею 57,3 кв.м (П)
Україна, Харківська обл., Харків, вул. Старошишківська , 5а
22.10.2024
Полтавська обл., Кременчуцький р-н, м. Кременчук, вулиця Пугачова, 12. Оренда – приміщення 1-го поверху загальною площею 32,00 кв.м. (В)
2 161.60 грн
9.93 грн / м2
Приміщення
Полтавська обл., Кременчуцький р-н, м. Кременчук, вулиця Пугачова, 12. Оренда – приміщення 1-го поверху загальною площею 32,00 кв.м. (В)
Україна, Полтавська обл., м. Кременчук, вулиця Пугачова, 12