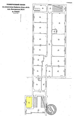
м.Харків, вул. Конторська,14. Оренда – приміщення 4-го поверху, площею 11,9 кв.м (В)

535.50 грн
45.00 грн / м2
Україна, Харківська обл., м. Харків, вул. Конторська,14
Перейти до аукціону на сайті
  • Інформація
  • Опис
  • Документи
Дата оголошення пропозиції:
01 травня 2025
Площа:
11.90 м2
Тип об’єкта:
Приміщення
Тип аукціону:
Англійський аукціон
Статус аукціону:
Аукціон не відбувся
Тип угоди:
Оренда
Розмір мінімального кроку:
50.00 ₴
Розмір гарантійного внеску:
321.30 ₴
Початок прийому пропозицій:
01.05.2025 12:38:14
Завершення прийому пропозицій:
02.06.2025 20:00:00
Проведення аукціону:
03.06.2025 12:25:00
Лот:
CLE001-UA-20250501-34710
№ лоту (УТК):
UTK260724_07P
Лот виставляється на торги (раз):
8
Стислий опис майна:
Пропонується до оренди приміщення 4-го поверху площею 11,9 кв.м. Будівля в центрі міста Харкова. 15 хв до метро Центральний ринок. Характеристики: Кількість поверхів – 4; Загальна площа – 5611,00 кв.м_ Площа запропонована до оренди – 11,9 кв.м Дозволена потужність – 0,5 кВт Теплопостачання - відсутнє Земельна ділянка – 0,5169 га
Адреса місцезнаходження майна:
Україна, Харківська обл., м. Харків, вул. Конторська,14
Схожі пропозиції
21.03.2024
м. Харків, вул. Старошишківська, 5а. Оренда – приміщення 1-го поверху площею 103,6 кв.м. (В)
5 642.06 грн
54.46 грн / м2
Приміщення
м. Харків, вул. Старошишківська, 5а. Оренда – приміщення 1-го поверху площею 103,6 кв.м. (В)
Україна, Харківська обл., м. Харків, вул. Старошишківська, 5а
Харківська обл., Чугуївський р-н, смт. Старий Салтів, вул. Перемоги, 20. Оренда – приміщення 2-го поверху будівлі А-2, площею 46,50 кв.м. (В)
732.84 грн
15.76 грн / м2
Приміщення
Харківська обл., Чугуївський р-н, смт. Старий Салтів, вул. Перемоги, 20. Оренда – приміщення 2-го поверху будівлі А-2, площею 46,50 кв.м. (В)
Україна, Харківська обл., смт. Старий Салтів, вул. Перемоги, 20
31.08.2023
м.Харків, вул. Амосова,13 в. Оренда - приміщення цокольного поверху площею 107,1 кв.м (П)
6 586.65 грн
61.50 грн / м2
Приміщення
м.Харків, вул. Амосова,13 в. Оренда - приміщення цокольного поверху площею 107,1 кв.м (П)
Україна, Харківська обл., м.Харків, вул. Амосова,13 в
27.08.2024
м.Харків, вул. Конторська,14. Оренда – приміщення 1-го поверху, площею 11,9 кв.м (В)
1 719.31 грн
144.48 грн / м2
Приміщення
м.Харків, вул. Конторська,14. Оренда – приміщення 1-го поверху, площею 11,9 кв.м (В)
Україна, Харківська обл., м. Харків, вул. Конторська,14
Переглянуті пропозиції
13.06.2023
Полтавська обл., м. Решетилівка, вулиця Старокиївська, 2. Оренда – приміщення 1-го поверху площею 28,10 кв.м. (В)
628.32 грн
22.36 грн / м2
Приміщення
Полтавська обл., м. Решетилівка, вулиця Старокиївська, 2. Оренда – приміщення 1-го поверху площею 28,10 кв.м. (В)
Україна, Полтавська обл., м. Решетилівка, вулиця Старокиївська, 2