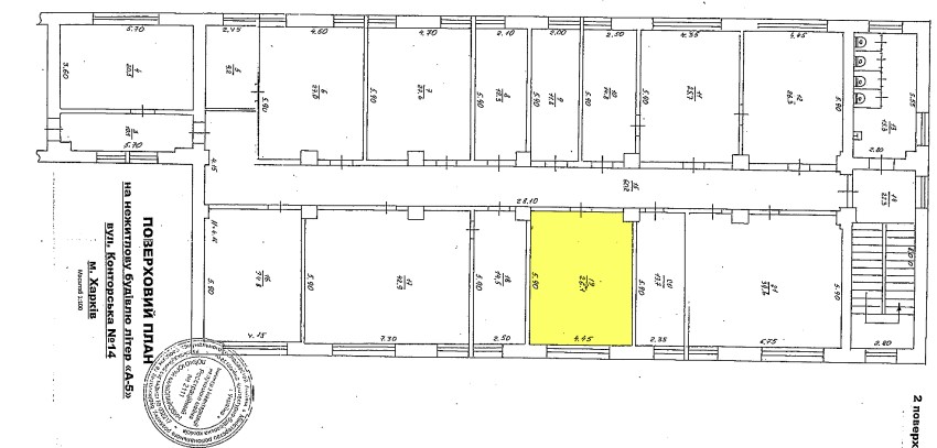
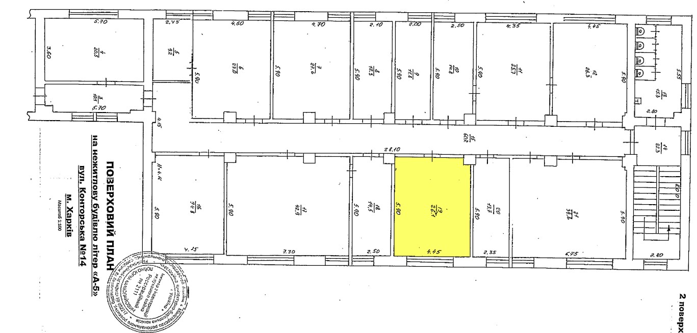
м. Харків, вул.Конторська,14 Оренда – приміщення другого поверху площею 26,1 кв.м (В)

1 700.15 грн
65.14 грн / м2
Україна, Харківська обл., Харків, вулиця Конторська, 14
Перейти до аукціону на сайті
  • Інформація
  • Опис
  • Документи
Дата оголошення пропозиції:
03 серпня 2025
Площа:
26.10 м2
Тип об’єкта:
Приміщення
Тип аукціону:
Англійський аукціон
Статус аукціону:
Аукціон не відбувся
Тип угоди:
Оренда
Розмір мінімального кроку:
50.00 ₴
Розмір гарантійного внеску:
1 020.09 ₴
Початок прийому пропозицій:
03.08.2025 09:26:25
Завершення прийому пропозицій:
03.09.2025 20:00:00
Проведення аукціону:
04.09.2025 12:55:00
Лот:
CLE001-UA-20250803-49814
№ лоту (УТК):
UTK230525_09U
Лот виставляється на торги (раз):
3
Стислий опис майна:
Пропонується до оренди приміщення другого поверху площею 26,1 кв.м. Будівля в центрі міста Харкова. 15 хв до метро Центральний ринок. Характеристики: Кількість поверхів – 4; Загальна площа – 5611,00 кв.м_ Площа запропонована до оренди – 26,1 кв.м Дозволена потужність – 1,0 кВт Теплопостачання - відсутнє Земельна ділянка – 0,5169 га
Адреса місцезнаходження майна:
Україна, Харківська обл., Харків, вулиця Конторська, 14
Схожі пропозиції
11.04.2024
Харківська обл., м. Харків, вул. Старошишківська, 5-А. Оренда – приміщення на 1-му поверсі загальною площею 40,40 кв.м. (В)
4 714.28 грн
116.69 грн / м2
Приміщення
Харківська обл., м. Харків, вул. Старошишківська, 5-А. Оренда – приміщення на 1-му поверсі загальною площею 40,40 кв.м. (В)
Україна, Харківська обл., м. Харків, вул. Старошишківська, 5-А
03.06.2025
Харківська обл., Богодухівський р-н, смт. Краснокутськ, вул. Миру, 123. Оренда – приміщення 2-го поверху площею 92,90 кв.м. (В)
1 672.20 грн
18.00 грн / м2
Приміщення
Харківська обл., Богодухівський р-н, смт. Краснокутськ, вул. Миру, 123. Оренда – приміщення 2-го поверху площею 92,90 кв.м. (В)
Україна, Харківська обл., Богодухівський р-н, смт. Краснокутськ, вул. Миру, 123
01.10.2024
м.Харків, вул. Конторська,14. Оренда – приміщення 2-го поверху площею 39,6 кв.м (П)
3 242.05 грн
81.87 грн / м2
Приміщення
м.Харків, вул. Конторська,14. Оренда – приміщення 2-го поверху площею 39,6 кв.м (П)
Україна, Харківська обл., м. Харків, вул. Конторська,14
Харківська обл., Ізюмський р-н, смт. Донець, вул. Центральна, 42. Оренда – приміщення 1-го поверху будівлі “А-2” площею 127,40 кв.м. (В)
8 649.19 грн
67.89 грн / м2
Приміщення
Харківська обл., Ізюмський р-н, смт. Донець, вул. Центральна, 42. Оренда – приміщення 1-го поверху будівлі “А-2” площею 127,40 кв.м. (В)
Україна, Харківська обл., Ізюмський р-н, смт. Донець, вул. Центральна, 42