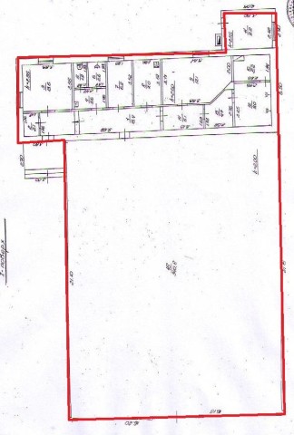
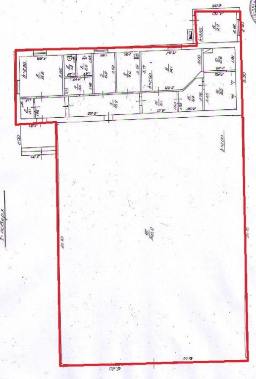
Рівненська обл., м. Рівне, вул. Боярка, 54 а, б. Оренда – комплекс будівель площею 620,1 м. кв. (В)

37 206.00 грн
60.00 грн / м2
Україна, Рівненська обл., м. Рівне, вул. Боярка, 54 а, б
Перейти до аукціону на сайті
  • Інформація
  • Опис
  • Документи
Дата оголошення пропозиції:
18 вересня 2025
Площа:
620.10 м2
Тип об’єкта:
Будівля
Тип аукціону:
Англійський аукціон
Статус аукціону:
Аукціон не відбувся
Тип угоди:
Оренда
Розмір мінімального кроку:
600.00 ₴
Розмір гарантійного внеску:
22 323.60 ₴
Початок прийому пропозицій:
18.09.2025 10:08:55
Завершення прийому пропозицій:
20.10.2025 20:00:00
Проведення аукціону:
21.10.2025 12:25:00
Лот:
CLE001-UA-20250918-26740
№ лоту (УТК):
UTK040422_01P
Лот виставляється на торги (раз):
10
Стислий опис майна:
Пропонуються до оренди комплекс будівель, загальною площею 620,1 м.кв. Будівлі знаходиться на околиці міста, інфраструктура досить розвинена. Територія огороджена та частково впорядкована. Теплопостачання відсутнє. Електропостачання – в приміщеннях відсутнє, на території – можливість приєднання потужністю до 15 кВт . Характеристики: Кількість поверхів – 1 ; Загальна площа – 620,1 м.кв.; Площа, запропонована до оренди – 620,1 м.кв.; Водопостачання ; • Земельна ділянка - площа 0,3442 га.
Адреса місцезнаходження майна:
Україна, Рівненська обл., м. Рівне, вул. Боярка, 54 а, б
Схожі пропозиції
23.02.2024
Рівненська обл., Сарненський р-н, с. Орв’яниця, вул. Центральна, 128;   Оренда – будівля площею 111,6 кв.м. (В)
467.60 грн
4.19 грн / м2
Будівля
Рівненська обл., Сарненський р-н, с. Орв’яниця, вул. Центральна, 128; Оренда – будівля площею 111,6 кв.м. (В)
Україна, Рівненська обл., Орв'яниця, вул. Центральна, 128
23.02.2023
Рівненська обл., Сарненський р-н, с. Орв’яниця, вул. Центральна, 128. Оренда – будівля площею 111,6 кв.м. (В)
1 116.00 грн
10.00 грн / м2
Будівля
Рівненська обл., Сарненський р-н, с. Орв’яниця, вул. Центральна, 128. Оренда – будівля площею 111,6 кв.м. (В)
Україна, Рівненська обл., Орв'яниця, вул. Центральна, 128
15.04.2025
Рівненська обл., Вараський р-н., с. Стара Рафалівка, вул. Центральна, 26а;   Оренда – будівля загальною площею 32 кв.м. (В)
551.68 грн
17.24 грн / м2
Будівля
Рівненська обл., Вараський р-н., с. Стара Рафалівка, вул. Центральна, 26а; Оренда – будівля загальною площею 32 кв.м. (В)
Україна, Рівненська обл., Стара Рафалівка, вул. Центральна, 26а
08.09.2022
Рівненська обл., Варашський р-н, смт. Рафалівка, вул.Незалежності, 8А. Оренда – будівля складів з гаражем площею 117,4 кв. м. (В)
1 174.00 грн
10.00 грн / м2
Будівля
Рівненська обл., Варашський р-н, смт. Рафалівка, вул.Незалежності, 8А. Оренда – будівля складів з гаражем площею 117,4 кв. м. (В)
Україна, Рівненська обл., Варашський р-н, смт. Рафалівка, вул.Незалежності, 8А
Переглянуті пропозиції
26.11.2025
Полтавська обл., Кременчуцький р-н, с. Броварки, вулиця Різдвяна, 41. Оренда – приміщення загальною площею 55,50 кв.м. (В)
666.00 грн
12.00 грн / м2
Приміщення
Полтавська обл., Кременчуцький р-н, с. Броварки, вулиця Різдвяна, 41. Оренда – приміщення загальною площею 55,50 кв.м. (В)
Україна, Полтавська обл., Кременчуцький р-н, с. Броварки, вул. Різдвяна, 41