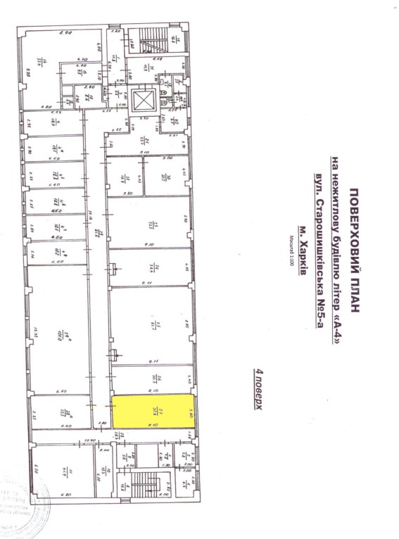
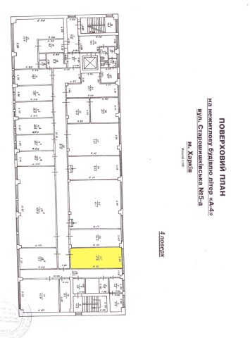
м. Харків, вул.Старошишківська,5а. Оренда – приміщення 4-го поверху площею 32,8 кв.м (В)

984.00 грн
30.00 грн / м2
Україна, Харківська обл., м. Харків, вул. Старошишківська,5а
Перейти до аукціону на сайті
  • Інформація
  • Опис
  • Документи
Дата оголошення пропозиції:
24 жовтня 2025
Площа:
32.80 м2
Тип об’єкта:
Приміщення
Тип аукціону:
Англійський аукціон
Статус аукціону:
Прийняття заяв на участь
Тип угоди:
Оренда
Розмір мінімального кроку:
50.00 ₴
Розмір гарантійного внеску:
590.40 ₴
Початок прийому пропозицій:
24.10.2025 15:54:01
Завершення прийому пропозицій:
25.11.2025 20:00:00
Проведення аукціону:
26.11.2025 11:20:00
Лот:
CLE001-UA-20251024-93757
№ лоту (УТК):
UTK180425_03P
Лот виставляється на торги (раз):
6
Стислий опис майна:
Пропонується до оренди приміщення четвертого поверху площею 32,8 кв.м. Будівля в спальному районі міста Харкова. 10 хв до зупинки транспорту. Характеристики: Кількість поверхів – 4; Загальна площа – 4561,20 кв.м_ Площа запропонована до оренди -32,8 кв.м, Дозволена потужність – 2,0 кВт Теплопостачання-відсутнє Земельна ділянка – 0,3999 га
Адреса місцезнаходження майна:
Україна, Харківська обл., м. Харків, вул. Старошишківська,5а
Схожі пропозиції
25.08.2022
Кіровоградська обл., м. Бобринець, вул. Незалежності, 111. Оренда – приміщення 2-го поверху площею 178,60 кв.м. (В)
4 572.16 грн
25.60 грн / м2
Приміщення
Кіровоградська обл., м. Бобринець, вул. Незалежності, 111. Оренда – приміщення 2-го поверху площею 178,60 кв.м. (В)
Україна, Харківська обл., м. Бобринець, вул. Незалежності, 111
Харківська обл., м. Харків, вул. Ак. Вальтера, 3. Оренда – приміщення 3-го поверху, площею 753,50 кв.м. (В)
15 235.77 грн
20.22 грн / м2
Приміщення
Харківська обл., м. Харків, вул. Ак. Вальтера, 3. Оренда – приміщення 3-го поверху, площею 753,50 кв.м. (В)
Україна, Харківська обл., м. Харків, вул. Ак. Вальтера, 3
15.07.2025
м.Харків, вул. Конторська,14. Оренда – приміщення 2-го поверху площею 14,8 кв.м (В)
518.00 грн
35.00 грн / м2
Приміщення
м.Харків, вул. Конторська,14. Оренда – приміщення 2-го поверху площею 14,8 кв.м (В)
Україна, Харківська обл., м. Харків, вул. Конторська,14
Харківська обл., м. Харків, вул. Нетіченська набережна, 8. Оренда – приміщення 8-го поверху площею 138,3 кв.м. (В)
7 468.20 грн
54.00 грн / м2
Приміщення
Харківська обл., м. Харків, вул. Нетіченська набережна, 8. Оренда – приміщення 8-го поверху площею 138,3 кв.м. (В)
Україна, Харківська обл., м. Харків, вул. Нетіченська набережна, 8