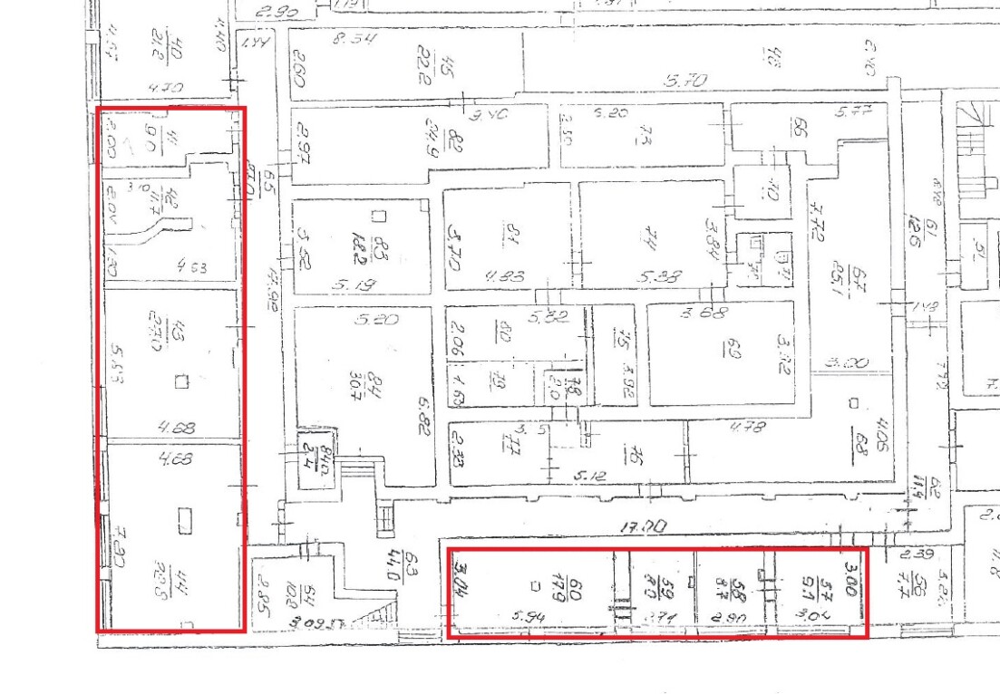
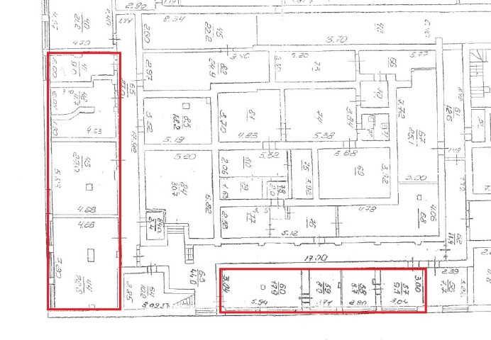
м. Рівне вул. Соборна, 56. Оренда – цокольне приміщення площею 124,2 кв.м. (В)

1 269.32 грн
10.22 грн / м2
Україна, Рівненська обл., м. Рівне, вул. Соборна, 56
Перейти до аукціону на сайті
  • Інформація
  • Опис
  • Документи
Дата оголошення пропозиції:
17 березня 2021
Площа:
124.20 м2
Тип об’єкта:
Приміщення
Тип аукціону:
Англійський аукціон
Статус аукціону:
Аукціон не відбувся
Тип угоди:
Оренда
Розмір мінімального кроку:
120.00 ₴
Розмір гарантійного внеску:
761.59 ₴
Початок прийому пропозицій:
17.03.2021 10:34:26
Завершення прийому пропозицій:
15.04.2021 20:00:00
Лот:
UA-PS-2021-03-17-000036-1
№ лоту (УТК):
UTK170420_21
Стислий опис майна:
Пропонуються до оренди цокольні приміщення площею 124,2 кв.м.. Будівля знаходиться в центральній частині міста, розвинена інфраструктура, високі автомобільний та пішохідний потоки, поряд відділення Укрпошти, торгові центри, магазини та адміністративні приміщення. Територія огороджена та частково впорядкована. Торги проводяться повторно
Адреса місцезнаходження майна:
Україна, Рівненська обл., м. Рівне, вул. Соборна, 56
Схожі пропозиції
23.03.2023
Рівненська обл., Рівненський р-н, с. Моквин, вул. Шевченка, 3. Оренда – виробничі приміщення загальною площею 144,7 м.кв. (В)
2 144.45 грн
14.82 грн / м2
Приміщення
Рівненська обл., Рівненський р-н, с. Моквин, вул. Шевченка, 3. Оренда – виробничі приміщення загальною площею 144,7 м.кв. (В)
Україна, Рівненська обл., Рівненський р-н, с. Моквин, вул. Шевченка, 3
13.09.2023
Рівненська обл., м. Рівне, вул. Соборна, 56. Оренда – цокольні приміщення загальною площею 334,1 кв.м. (В)
46 707.18 грн
139.80 грн / м2
Приміщення
Рівненська обл., м. Рівне, вул. Соборна, 56. Оренда – цокольні приміщення загальною площею 334,1 кв.м. (В)
Україна, Рівненська обл., м. Рівне, вул. Соборна, 56
30.09.2025
Рівненська обл., м. Вараш, м-н Незалежності,4. Оренда –приміщення 2-го поверху площею 91,50 кв. м (В).
12 752.36 грн
139.37 грн / м2
Приміщення
Рівненська обл., м. Вараш, м-н Незалежності,4. Оренда –приміщення 2-го поверху площею 91,50 кв. м (В).
Україна, Рівненська обл., Вараш, Незалежності 4
30.07.2024
Рівненська обл., Вараський р-н, с. Біле, вул. Радянська,30;  Оренда–нежитлове приміщення площею 10,1 кв.м. (В)
252.50 грн
25.00 грн / м2
Приміщення
Рівненська обл., Вараський р-н, с. Біле, вул. Радянська,30; Оренда–нежитлове приміщення площею 10,1 кв.м. (В)
Україна, Рівненська обл., Біле, вул. Радянська, 30