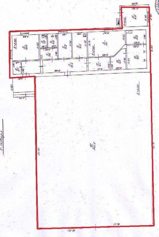
Рівненська обл., м. Рівне, вул. Боярка, 54 а, б. Оренда – комплекс будівель площею 620,1 м. кв. (В)

28 648.62 грн
46.20 грн / м2
Україна, Рівненська обл., м. Рівне, вул. Боярка, 54 а, б
Перейти до аукціону на сайті
  • Інформація
  • Опис
  • Документи
Дата оголошення пропозиції:
10 березня 2023
Площа:
620.10 м2
Тип об’єкта:
Будівля
Тип аукціону:
Англійський аукціон
Статус аукціону:
Аукціон не відбувся
Тип угоди:
Оренда
Розмір мінімального кроку:
300.00 ₴
Розмір гарантійного внеску:
17 189.17 ₴
Початок прийому пропозицій:
10.03.2023 10:53:47
Завершення прийому пропозицій:
11.04.2023 20:00:00
Проведення аукціону:
12.04.2023 11:50:00
Лот:
CLE001-UA-20230310-06805
№ лоту (УТК):
UTK040422_01P
Лот виставляється на торги (раз):
7
Стислий опис майна:
Пропонуються до оренди комплекс будівель, загальною площею 620,1 м.кв. Будівлі знаходиться на околиці міста, інфраструктура досить розвинена. Територія огороджена та частково впорядкована. Теплопостачання відсутнє. Електропостачання – в приміщеннях відсутнє, на території – можливість приєднання потужністю до 15 кВт . Характеристики: Кількість поверхів – 1 ; Загальна площа – 620,1 м.кв.; Площа, запропонована до оренди – 620,1 м.кв.; Водопостачання ; • Земельна ділянка - площа 0,3442 га.
Адреса місцезнаходження майна:
Україна, Рівненська обл., м. Рівне, вул. Боярка, 54 а, б
Схожі пропозиції
08.09.2022
Рівненська обл., Варашський р-н, смт. Рафалівка, вул.Незалежності, 8А. Оренда – будівля складів з гаражем площею 117,4 кв. м. (В)
1 174.00 грн
10.00 грн / м2
Будівля
Рівненська обл., Варашський р-н, смт. Рафалівка, вул.Незалежності, 8А. Оренда – будівля складів з гаражем площею 117,4 кв. м. (В)
Україна, Рівненська обл., Варашський р-н, смт. Рафалівка, вул.Незалежності, 8А
Рівненська обл., Сарненський р-н, с. Орв’яниця, вул. Центральна, 128. Оренда – будівля площею 111,60 кв.м. (В)
1 116.00 грн
10.00 грн / м2
Будівля
Рівненська обл., Сарненський р-н, с. Орв’яниця, вул. Центральна, 128. Оренда – будівля площею 111,60 кв.м. (В)
Україна, Рівненська обл., Орв’яниця, вул. Центральна, 128
21.10.2025
Рівненська обл., м. Рівне, вул. Боярка, 54 а, б. Оренда – комплекс будівель площею 620,1 м. кв. (В)
37 206.00 грн
60.00 грн / м2
Будівля
Рівненська обл., м. Рівне, вул. Боярка, 54 а, б. Оренда – комплекс будівель площею 620,1 м. кв. (В)
Україна, Рівненська обл., м. Рівне, вул. Боярка, 54 а, б
Переглянуті пропозиції
03.12.2024
Львівська обл., м. Дрогобич, вул. Д.Галицького, 21. Оренда – приміщення 2-го поверху площею 83,40 кв. м. (В)
2 451.96 грн
29.40 грн / м2
Приміщення
Львівська обл., м. Дрогобич, вул. Д.Галицького, 21. Оренда – приміщення 2-го поверху площею 83,40 кв. м. (В)
Україна, Львівська обл., м. Дрогобич, вул. Д.Галицького, 21