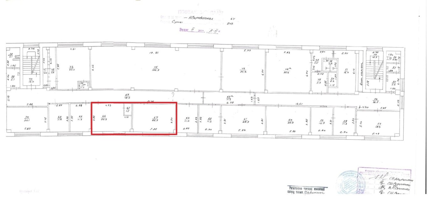
Сумська обл., м. Суми, вул. Нижньосироватська, 64. Оренда – офісні приміщення 2-го поверху площею 45,10 кв.м. (В)

2 642.41 грн
58.59 грн / м2
Україна, Сумська обл., м. Суми, вул. Нижньосироватська, 64
Перейти до аукціону на сайті
  • Інформація
  • Опис
  • Документи
Дата оголошення пропозиції:
31 березня 2023
Площа:
45.10 м2
Тип об’єкта:
Офіс
Тип аукціону:
Англійський аукціон
Статус аукціону:
Аукціон не відбувся
Тип угоди:
Оренда
Розмір мінімального кроку:
150.00 ₴
Розмір гарантійного внеску:
1 585.45 ₴
Початок прийому пропозицій:
31.03.2023 13:17:40
Завершення прийому пропозицій:
02.05.2023 20:00:00
Проведення аукціону:
03.05.2023 12:50:00
Лот:
CLE001-UA-20230331-62597
№ лоту (УТК):
UTK190123_08P
Лот виставляється на торги (раз):
3
Стислий опис майна:
Пропонуються до оренди офісні приміщення 2-го поверху триповерхової будівлі площею 45,10 кв.м. (2 поверх). Будівля знаходиться на околиці міста. Можливість передачі приміщень в суборенду. Наявні всі комунікації. Доступ вільний 24/7. Характеристики: Кількість поверхів – 3; Загальна площа – 1894,10 кв.м. Площа запропонована до оренди - 45,10 кв.м. Опалення, електропостачання – наявні; Водопостачання – відсутнє (наявний санвузол та вода загального користування); Земельна ділянка – 0,3944 га (договір оренди)
Адреса місцезнаходження майна:
Україна, Сумська обл., м. Суми, вул. Нижньосироватська, 64
Схожі пропозиції
26.11.2025
Сумська обл., м. Путивль, вул. Першотравнева, буд. 86. Оренда – офісні приміщення 2-го поверху площею 54,60 кв.м. (В)
655.20 грн
12.00 грн / м2
Офіс
Сумська обл., м. Путивль, вул. Першотравнева, буд. 86. Оренда – офісні приміщення 2-го поверху площею 54,60 кв.м. (В)
Україна, Сумська обл., м. Путивль, вул. Першотравнева, буд. 86
21.08.2024
Сумська обл., м. Буринь, вул. Першотравнева, 5;  Оренда – офісні приміщення 2-го поверху площею 129,9 кв.м. (В)
1 279.52 грн
9.85 грн / м2
Офіс
Сумська обл., м. Буринь, вул. Першотравнева, 5; Оренда – офісні приміщення 2-го поверху площею 129,9 кв.м. (В)
Україна, Сумська обл., Буринь, вул. Першотравнева, 5
23.08.2022
Сумська обл., м. Глухів, пл. Свободи, буд. 2. Оренда – офісне приміщення 1-го поверху площею 89,70 кв.м. (В)
8 970.00 грн
100.00 грн / м2
Офіс
Сумська обл., м. Глухів, пл. Свободи, буд. 2. Оренда – офісне приміщення 1-го поверху площею 89,70 кв.м. (В)
Україна, Сумська обл., м. Глухів, пл. Свободи, буд. 2
Переглянуті пропозиції
17.11.2023
м. Харків, вул. Амосова,13-в. Оренда – приміщення 3-го поверху площею 128,6 кв.м (В)
7 811.16 грн
60.74 грн / м2
Приміщення
м. Харків, вул. Амосова,13-в. Оренда – приміщення 3-го поверху площею 128,6 кв.м (В)
Україна, Харківська обл., м. Харків, вул. Амосова,13-в