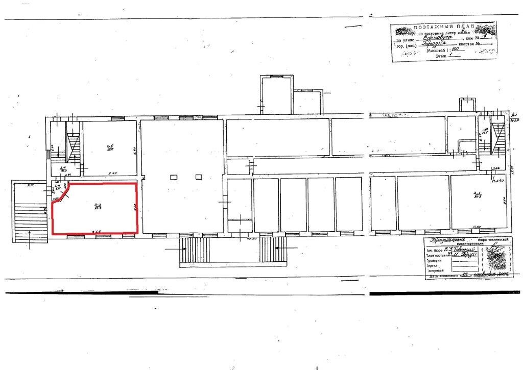
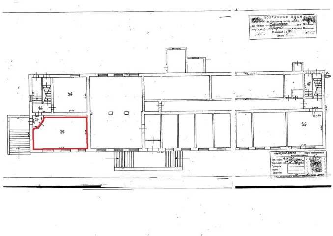
Чернігівська обл. м. Городня, вул. Чернігівська,7; Оренда- приміщення 1-го поверху площею 29,40 кв.м.(В)

2 646.00 грн
90.00 грн / м2
Україна, Чернігівська обл., Городня, вулиця Чернігівська, 7
Перейти до аукціону на сайті
  • Інформація
  • Опис
  • Документи
Дата оголошення пропозиції:
20 жовтня 2023
Площа:
29.40 м2
Тип об’єкта:
Приміщення
Тип аукціону:
Англійський аукціон
Статус аукціону:
Аукціон не відбувся
Тип угоди:
Оренда
Розмір мінімального кроку:
265.00 ₴
Розмір гарантійного внеску:
1 587.60 ₴
Початок прийому пропозицій:
20.10.2023 14:36:49
Завершення прийому пропозицій:
21.11.2023 20:00:00
Проведення аукціону:
22.11.2023 11:00:00
Лот:
CLE001-UA-20231020-64625
№ лоту (УТК):
UTK201023_14T
Лот виставляється на торги (раз):
1
Стислий опис майна:
Пропонуються до оренди приміщення 1-поверху площею 29,4 кв.м. Будівля знаходиться у центрі міста. Характеристики - кількість поверхів –2; - земельна ділянка – 0,2687г а (договір оренди); - Електропостачання наявне - водопостачання, водовідведення, теплопостачання – відсутні
Адреса місцезнаходження майна:
Україна, Чернігівська обл., Городня, вулиця Чернігівська, 7
Схожі пропозиції
м. Чернігів, проспект Перемоги, 76. Оренда – приміщення 1-го поверху, площею 8,80 кв.м. (В)
300.96 грн
34.20 грн / м2
Приміщення
м. Чернігів, проспект Перемоги, 76. Оренда – приміщення 1-го поверху, площею 8,80 кв.м. (В)
Україна, Чернігівська обл., Чернігів, проспект Перемоги, 76
27.10.2023
Чернігівська обл., м. Чернігів, вул. 1 Травня, 175. Оренда – складські приміщення площею 832,6 кв.м (В)
39 465.24 грн
47.40 грн / м2
Приміщення
Чернігівська обл., м. Чернігів, вул. 1 Травня, 175. Оренда – складські приміщення площею 832,6 кв.м (В)
Україна, Чернігівська обл., м. Чернігів, вул. 1 Травня, 175
15.10.2025
Чернігівська обл., смт. Сосниця, вул. Б. Хмельницького, 16. Оренда – підвальне приміщення площею 31,35 кв.м. (В)
501.60 грн
16.00 грн / м2
Приміщення
Чернігівська обл., смт. Сосниця, вул. Б. Хмельницького, 16. Оренда – підвальне приміщення площею 31,35 кв.м. (В)
Україна, Чернігівська обл., смт. Сосниця, вул. Б. Хмельницького, 16
м. Чернігів, вул. Елеваторна, 6. Оренда приміщень 382,7 кв.м.
11 572.85 грн
30.24 грн / м2
Приміщення
м. Чернігів, вул. Елеваторна, 6. Оренда приміщень 382,7 кв.м.
Україна, Чернігівська обл., м. Чернігів, вул. Елеваторна, 6
Переглянуті пропозиції
м. Дніпро, вул. Князя Ярослава Мудрого,3. Оренда - приміщення 4-го поверху площею 68,1 кв.м. (В)
1 231.93 грн
18.09 грн / м2
Приміщення
м. Дніпро, вул. Князя Ярослава Мудрого,3. Оренда - приміщення 4-го поверху площею 68,1 кв.м. (В)
Україна, Дніпропетровська обл., м. Дніпро, вул. Князя Ярослава Мудрого, 3
20.12.2023
Сумська обл., смт. Велика Писарівка, вул. Грайворонська, 11. Оренда – офісне приміщення на 2-му поверсі площею 20,40 кв.м. (В)
501.84 грн
24.60 грн / м2
Офіс
Сумська обл., смт. Велика Писарівка, вул. Грайворонська, 11. Оренда – офісне приміщення на 2-му поверсі площею 20,40 кв.м. (В)
Україна, Сумська обл., смт. Велика Писарівка, вул. Грайворонська, 11
Чернігівська обл., смт Варва, вул. Шевченка, 39. Оренда – приміщення 1-го поверху
2 399.04 грн
28.80 грн / м2
Приміщення
Чернігівська обл., смт Варва, вул. Шевченка, 39. Оренда – приміщення 1-го поверху
Україна, Чернігівська обл., смт. Варва, вул. Шевченка, 39
Полтавська обл., м. Горішні Плавні, вул. Миру, буд. 18. Оренда – приміщення 2-го поверху
2 208.00 грн
48.00 грн / м2
Приміщення
Полтавська обл., м. Горішні Плавні, вул. Миру, буд. 18. Оренда – приміщення 2-го поверху
Україна, Полтавська обл., м. Горішні Плавні, вул. Миру, буд. буд. 18