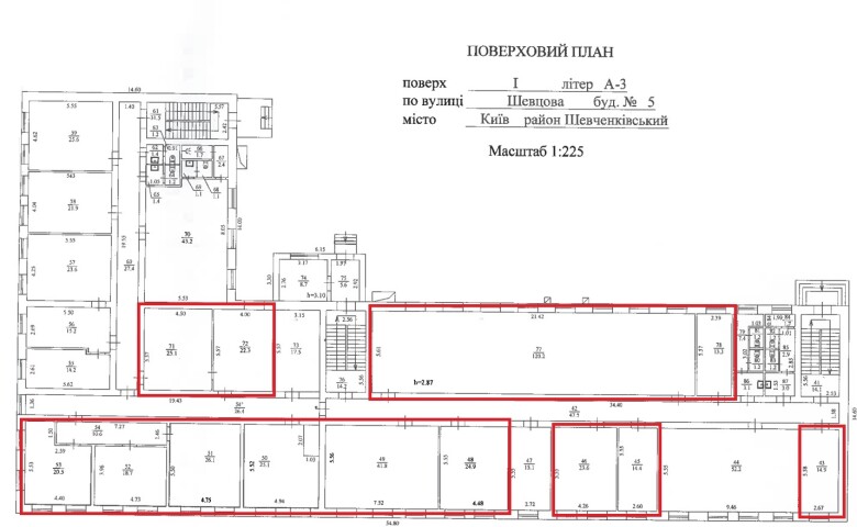
м. Київ, вул. Василя Макуха (Івана Шевцова), 5; Оренда – приміщення 1-го поверху будівлі, площею 401,5 кв.м. (В)

83 720.78 грн
208.52 грн / м2
Україна, м.Київ, м. Київ, вулиця Василя Макуха (Івана Шевцова), 5
Перейти до аукціону на сайті
  • Інформація
  • Опис
  • Документи
Дата оголошення пропозиції:
02 листопада 2023
Площа:
401.50 м2
Тип об’єкта:
Приміщення
Тип аукціону:
Англійський аукціон
Статус аукціону:
Аукціон не відбувся
Тип угоди:
Оренда
Розмір мінімального кроку:
1 000.00 ₴
Розмір гарантійного внеску:
50 232.47 ₴
Початок прийому пропозицій:
02.11.2023 15:06:14
Завершення прийому пропозицій:
04.12.2023 20:00:00
Проведення аукціону:
05.12.2023 11:15:00
Лот:
CLE001-UA-20231102-79677
№ лоту (УТК):
UTK270123_04Т
Лот виставляється на торги (раз):
8
Стислий опис майна:
Пропонуються до довгострокової оренди приміщення 1-го поверху будівлі, літ. «А», площею 401,5 кв.м. Будівля розташована у Шевченківському районі, 5 хвилин від ст. м. Берестейська, зупинки маршрутного транспорту, трамваю, магазини, кафе, аптеки, середній автомобільний і пішохідний потоки. Вхід з двору. Характеристики: • кількість поверхів – 3; • сан. вузол, каналізація, теплозабезпечення – присутнє; • площа будівлі – літ. «А» - 3399,5 м2; • опалення централізоване (міське); • земельна ділянка – 0,2097 га; • енерго потужність – 15 кВт.
Адреса місцезнаходження майна:
Україна, м.Київ, м. Київ, вулиця Василя Макуха (Івана Шевцова), 5
Схожі пропозиції
м. Київ, пр-т. Оболонський, 32-Б. частина приміщень 2-го поверху, площею 690,20 кв. м. (В)
63 146.40 грн
91.49 грн / м2
Приміщення
м. Київ, пр-т. Оболонський, 32-Б. частина приміщень 2-го поверху, площею 690,20 кв. м. (В)
Україна, м.Київ, Київ, пр-т. Оболонський, 32-Б
11.11.2025
м. Київ, вул. Ореста Васкула, 27 (Святошинський р-н). Оренда – група приміщень на 3-му поверсі, загальною площею – 31,40 м. кв. (В)
27.10.2022
Довгострокова оренда. м. Київ, вул. Горького (Антоновича), 40. Оренда – приміщення 1-го поверху, площею 538,5 кв. м. (В)
30.08.2022
м. Київ, вул. Джона Маккейна, №40. Оренда – приміщення підвалу, площею 24,80 м2 (В)
1 145.76 грн
46.20 грн / м2
Приміщення
м. Київ, вул. Джона Маккейна, №40. Оренда – приміщення підвалу, площею 24,80 м2 (В)
Україна, м.Київ, Київ, вулиця Джона Маккейна, 40
Переглянуті пропозиції
28.12.2022
Чернігівська обл., м. Городня, вул. 1 Травня, 48. Оренда – приміщення 2-го поверху площею 143,4 кв.м.(В)
613.75 грн
4.28 грн / м2
Приміщення
Чернігівська обл., м. Городня, вул. 1 Травня, 48. Оренда – приміщення 2-го поверху площею 143,4 кв.м.(В)
Україна, Чернігівська обл., м. Городня, вул. 1-го Травня, 48
26.07.2024
Одеська обл., Подільський р-н., смт. Окни, вул. К.Маркса, буд. 11. Оренда – приміщення 1-го поверху загальною площею 105,40 кв.м.
737.80 грн
7.00 грн / м2
Приміщення
Одеська обл., Подільський р-н., смт. Окни, вул. К.Маркса, буд. 11. Оренда – приміщення 1-го поверху загальною площею 105,40 кв.м.
Україна, Одеська обл., смт. Окни, вул. К.Маркса, буд. 11
02.03.2023
м. Київ, вул. Будівельників, 8-Б Оренда – приміщення 1-го, 2-го та 3-го поверхів, площею 1520,3 м. кв. (П)
218 816.78 грн
143.93 грн / м2
Приміщення
м. Київ, вул. Будівельників, 8-Б Оренда – приміщення 1-го, 2-го та 3-го поверхів, площею 1520,3 м. кв. (П)
Україна, м.Київ, м. Київ, вулиця Будівельників, 8-Б
22.04.2025
Полтавська обл., Лубенський р-н, с.Новоаврамівка, вул.Центральна, буд.14;   Оренда–будівля площею 62,1 кв.м. (В)
745.20 грн
12.00 грн / м2
Приміщення
Полтавська обл., Лубенський р-н, с.Новоаврамівка, вул.Центральна, буд.14; Оренда–будівля площею 62,1 кв.м. (В)
Україна, Полтавська обл., с. Новоаврамівка, вул. Центральна, буд. 14