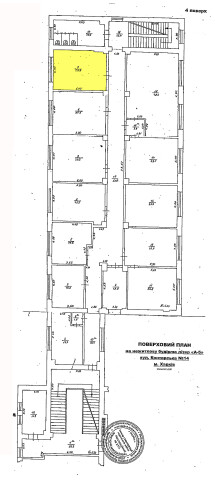
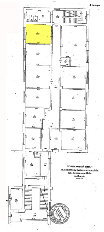
м. Харків, вул. Конторська,14.Оренда – приміщення 4-го поверху площею 25,9 кв.м (В)

1 794.87 грн
69.30 грн / м2
Україна, Харківська обл., м. Харків, вул. Конторська,14
Перейти до аукціону на сайті
  • Інформація
  • Опис
  • Документи
Дата оголошення пропозиції:
15 січня 2024
Площа:
25.90 м2
Тип об’єкта:
Приміщення
Тип аукціону:
Англійський аукціон
Статус аукціону:
Аукціон не відбувся
Тип угоди:
Оренда
Розмір мінімального кроку:
50.00 ₴
Розмір гарантійного внеску:
1 076.92 ₴
Початок прийому пропозицій:
15.01.2024 16:34:37
Завершення прийому пропозицій:
13.02.2024 20:00:00
Проведення аукціону:
14.02.2024 12:55:00
Лот:
CLE001-UA-20240115-56614
№ лоту (УТК):
UTK070723_08P
Лот виставляється на торги (раз):
6
Стислий опис майна:
Пропонується до оренди приміщення 4-го поверху площею 25,9 кв.м. Будівля в центрі міста Харкова. 15 хв до метро Центральний ринок. Характеристики: Кількість поверхів – 4; Загальна площа – 5611,00 кв.м_ Площа запропонована до оренди – 25,9 кв.м Дозволена потужність – 4 кВт Теплопостачання - відсутнє Земельна ділянка – 0,5169 га
Адреса місцезнаходження майна:
Україна, Харківська обл., м. Харків, вул. Конторська,14
Схожі пропозиції
Харківська обл., м. Харків, вул. Конторська, 14.Оренда – приміщення цокольного поверху, площею 25,00 м2 (В)
900.00 грн
36.00 грн / м2
Приміщення
Харківська обл., м. Харків, вул. Конторська, 14.Оренда – приміщення цокольного поверху, площею 25,00 м2 (В)
Україна, Харківська обл., Харків, вул. Конторська, 14
21.03.2023
Харківська обл., м.Харків, вул. Конторська,14. Оренда – приміщення цокольного поверху, площею 28,30 кв.м. (В)
1 307.46 грн
46.20 грн / м2
Приміщення
Харківська обл., м.Харків, вул. Конторська,14. Оренда – приміщення цокольного поверху, площею 28,30 кв.м. (В)
Україна, Харківська обл., Харків, вулиця Конторська, 14
03.06.2025
м.Харків, пр-т Ювілейний,66. Оренда – приміщення 2-го поверху площею 10,6 кв.м (В)
578.34 грн
54.56 грн / м2
Приміщення
м.Харків, пр-т Ювілейний,66. Оренда – приміщення 2-го поверху площею 10,6 кв.м (В)
Україна, Харківська обл., Харків, Ювілейний проспект, 66
м. Харків, вул. Сумгаїтська, 9а. Оренда – приміщення 1-го поверху, площею 62,30 кв.м. (П)
3 124.97 грн
50.16 грн / м2
Приміщення
м. Харків, вул. Сумгаїтська, 9а. Оренда – приміщення 1-го поверху, площею 62,30 кв.м. (П)
Україна, Харківська обл., м. Харків, вул. Сумгаїтська, 9а
Переглянуті пропозиції
14.02.2024
Сумська обл., м. Суми, вул. Іллінська, буд. 2. Оренда – офісні приміщення 3-го поверху площею 411,00 кв. м. (В)
24 138.03 грн
58.73 грн / м2
Офіс
Сумська обл., м. Суми, вул. Іллінська, буд. 2. Оренда – офісні приміщення 3-го поверху площею 411,00 кв. м. (В)
Україна, Сумська обл., м. Суми, вул. Іллінська, буд. 2
30.04.2024
Сумська обл., Конотопський р-н, с. Землянка, вул. Центральна, буд. 49;   Оренда – нежитлове приміщення площею 18,7 кв.м. (В)
502.28 грн
26.86 грн / м2
Приміщення
Сумська обл., Конотопський р-н, с. Землянка, вул. Центральна, буд. 49; Оренда – нежитлове приміщення площею 18,7 кв.м. (В)
Україна, Сумська обл., Землянка, вул. Центральна, буд. 49
22.04.2025
м.Харків, Салтівське шосе,2. Оренда – приміщення 1-го поверху, площею 41,00 кв.м (В)
1 271.00 грн
31.00 грн / м2
Приміщення
м.Харків, Салтівське шосе,2. Оренда – приміщення 1-го поверху, площею 41,00 кв.м (В)
Україна, Харківська обл., м. Харків, Салтівське шосе,2