Рівненська обл. смт. Рокитне вул.Незалежності,9. Оренда – приміщення 1-го , 2-го та 3–го поверху загальною площею 365,6 м. кв. (В)

6 844.03 грн
18.72 грн / м2
Україна, Рівненська обл., Сарненський р-н., смт. Рокитне, вул. Незалежності, 9
Перейти до аукціону на сайті
  • Інформація
  • Опис
  • Документи
Дата оголошення пропозиції:
16 лютого 2024
Площа:
365.60 м2
Тип об’єкта:
Приміщення
Тип аукціону:
Англійський аукціон
Статус аукціону:
Аукціон не відбувся
Тип угоди:
Оренда
Розмір мінімального кроку:
500.00 ₴
Розмір гарантійного внеску:
4 106.42 ₴
Початок прийому пропозицій:
16.02.2024 15:05:59
Завершення прийому пропозицій:
18.03.2024 20:00:00
Проведення аукціону:
19.03.2024 11:35:00
Лот:
CLE001-UA-20240216-12753
№ лоту (УТК):
UTK271023_26P
Лот виставляється на торги (раз):
4
Стислий опис майна:
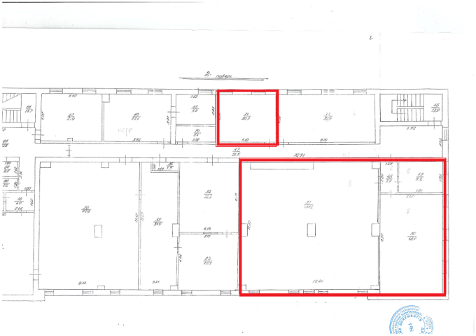
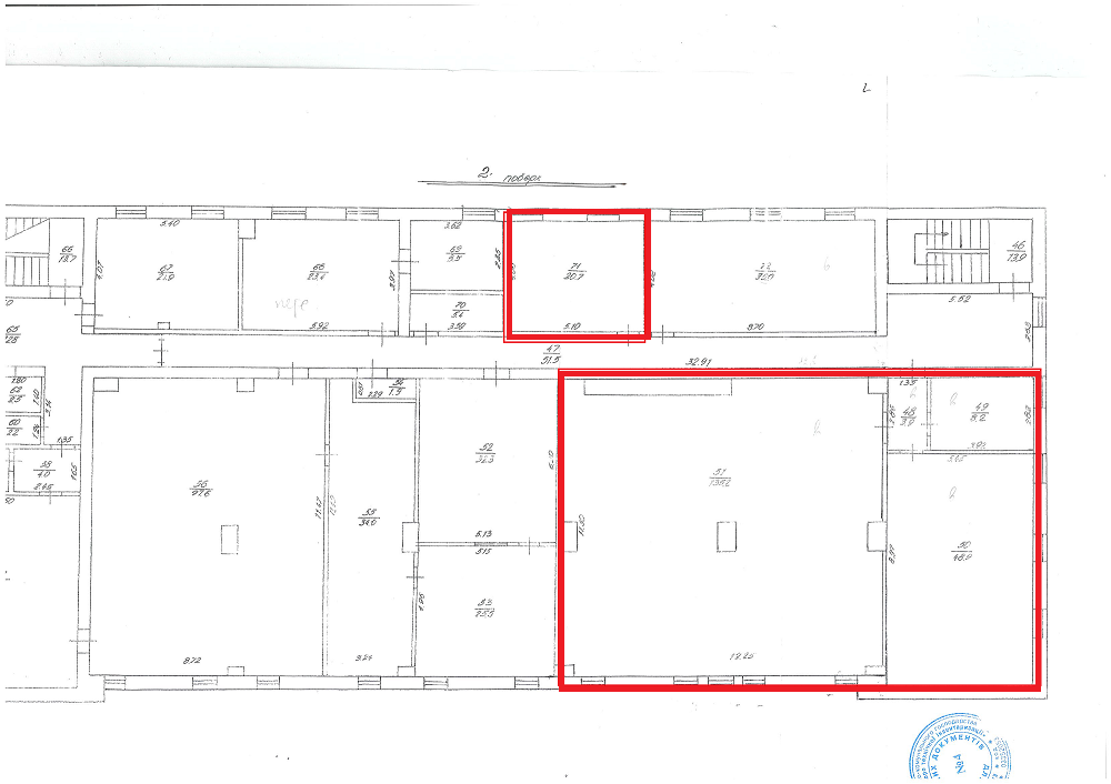
Пропонуються до оренди приміщення 1 - го , 2- го та 3– го поверху загальною площею 365,6 м. кв. Будівля знаходиться в центральній частині селища , розвинена інфраструктура, поряд відділення Укрпошти , магазини та адмінібудівлі. Вхід в приміщення спільний .  Приміщення потребують реконструкції електромережі. Характеристики: Кількість поверхів – 4 ; Загальна площа – 1459,9 м. кв ; Площа, запропонована до оренди – 365,6 м. кв. ; Земельна ділянка - площа 0,1937 га. (договір оренди)
Адреса місцезнаходження майна:
Україна, Рівненська обл., Сарненський р-н., смт. Рокитне, вул. Незалежності, 9
Схожі пропозиції
01.11.2023
Рівненська обл., Рівненський р-н., с. Вельбівно, вул. Гагаріна, 15. Оренда – частина приміщення одноповерхової будівлі, площею 16,9 кв.м. (В)
253.50 грн
15.00 грн / м2
Приміщення
Рівненська обл., Рівненський р-н., с. Вельбівно, вул. Гагаріна, 15. Оренда – частина приміщення одноповерхової будівлі, площею 16,9 кв.м. (В)
Україна, Рівненська обл., Рівненський р-н., с. Вельбівно, вул. Гагаріна, 15
15.11.2022
Рівненська обл., Вараський р-н., с. Антонівка, вул. Хмельницького, 8а. Оренда – нежитлові приміщення площею 75,6 кв.м. (В)
1 366.85 грн
18.08 грн / м2
Приміщення
Рівненська обл., Вараський р-н., с. Антонівка, вул. Хмельницького, 8а. Оренда – нежитлові приміщення площею 75,6 кв.м. (В)
Україна, Рівненська обл., Вараський р-н., с. Антонівка, вул. Хмельницького, 8а
26.12.2024
Рівненська обл., Сарненський р-н, смт. Степань, вул. Київська, 18. Оренда – приміщення 2-го поверху та гараж, загальною площею 186,80 кв.м. (В)
1 806.36 грн
9.67 грн / м2
Приміщення
Рівненська обл., Сарненський р-н, смт. Степань, вул. Київська, 18. Оренда – приміщення 2-го поверху та гараж, загальною площею 186,80 кв.м. (В)
Україна, Рівненська обл., Сарненський р-н, смт. Степань, вул. Київська, 18
Рівненська обл., м. Здолбунів вул. Грушевського,15.Оренда – приміщення прохідної площею 8,7 кв.м. (В)
82.04 грн
9.43 грн / м2
Приміщення
Рівненська обл., м. Здолбунів вул. Грушевського,15.Оренда – приміщення прохідної площею 8,7 кв.м. (В)
Україна, Рівненська обл., Здолбунів, вул. Грушевського,15