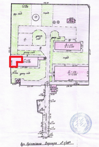
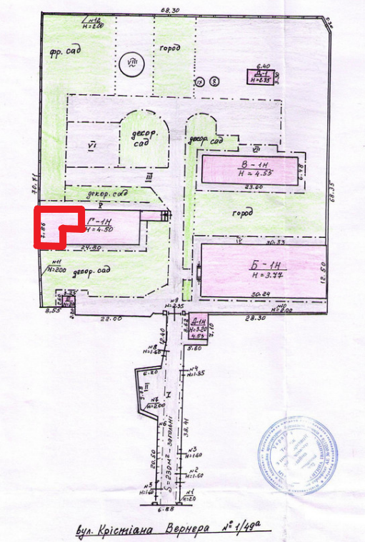
Одеська обл., Білгород-Дністровський р-н, смт. Сарата, вул. Кр. Вернера, буд.№1/49 А. Оренда – приміщення будівлі загальною площею 33,40 кв.м (В)

801.60 грн
24.00 грн / м2
Україна, Одеська обл., Білгород-Дністровський р-н., смт. Сарата, вул. Кр. Вернера, буд.№1/49 А
Перейти до аукціону на сайті
  • Інформація
  • Опис
  • Документи
Дата оголошення пропозиції:
26 червня 2024
Площа:
33.40 м2
Тип об’єкта:
Приміщення
Тип аукціону:
Англійський аукціон
Статус аукціону:
Аукціон не відбувся
Тип угоди:
Оренда
Розмір мінімального кроку:
30.00 ₴
Розмір гарантійного внеску:
480.96 ₴
Початок прийому пропозицій:
26.06.2024 16:49:47
Завершення прийому пропозицій:
25.07.2024 20:00:00
Проведення аукціону:
26.07.2024 11:55:00
Лот:
CLE001-UA-20240626-71568
№ лоту (УТК):
UTK300123_06P
Лот виставляється на торги (раз):
10
Стислий опис майна:
Пропонуються до оренди приміщення будівлі загальною площею 33,40 кв.м, вхід та в’їзд до комплексу загальний. Об'єкт знаходиться у центрі селища. В’їзд на територію вільний, санвузол загального користування на території. Приміщення можна використовувати під майстерню, склад, гараж. Характеристики: Загальна площа – 149,70 кв.м Площа запропонована до оренди – 33,40 кв.м Дозволена потужність – 5 кВт Теплопостачання – не опалюється Земельна ділянка – 0,4805 га
Адреса місцезнаходження майна:
Україна, Одеська обл., Білгород-Дністровський р-н., смт. Сарата, вул. Кр. Вернера, буд.№1/49 А
Схожі пропозиції
07.03.2025
Одеська обл., Білгород-Дністровський р-н, с. Базар’янка, вул. Шевченко, буд.42. Оренда – приміщення 1-но поверхової будівлі загальною площею 30,85 кв.м (В)
617.00 грн
20.00 грн / м2
Приміщення
Одеська обл., Білгород-Дністровський р-н, с. Базар’янка, вул. Шевченко, буд.42. Оренда – приміщення 1-но поверхової будівлі загальною площею 30,85 кв.м (В)
Україна, Одеська обл., Білгород-Дністровський р-н, с. Базар’янка, вул. Шевченко, буд.42
04.10.2024
Одеська обл., Березівський р-н с. Стрюкове, вул. Ламброва, буд.40. Оренда – приміщення нежитлової будівлі площею 30,20 кв.м (В)
302.00 грн
10.00 грн / м2
Приміщення
Одеська обл., Березівський р-н с. Стрюкове, вул. Ламброва, буд.40. Оренда – приміщення нежитлової будівлі площею 30,20 кв.м (В)
Україна, Одеська обл., Березівський р-н с. Стрюкове, вул. Ламброва, буд.40
30.05.2025
Одеська обл., м. Одеса, вул. Ак. Філатова, 13б. Оренда – приміщення 1-го поверху площею 75,20 кв.м. (В)
4 512.00 грн
60.00 грн / м2
Приміщення
Одеська обл., м. Одеса, вул. Ак. Філатова, 13б. Оренда – приміщення 1-го поверху площею 75,20 кв.м. (В)
Україна, Одеська обл., м. Одеса, вул. Ак. Філатова, 13б
Одеська обл., Ізмаїльський р-н, м. Вилкове, вул. Різдвяна, буд.27. Оренда – приміщення 1-го та 2-го поверху будинку 381,20 кв.м. (В)
4 547.72 грн
11.93 грн / м2
Приміщення
Одеська обл., Ізмаїльський р-н, м. Вилкове, вул. Різдвяна, буд.27. Оренда – приміщення 1-го та 2-го поверху будинку 381,20 кв.м. (В)
Україна, Одеська обл., Ізмаїльський р-н, м. Вилкове, вул. Різдвяна, буд.27
Переглянуті пропозиції
21.08.2024
Харківська обл., м. Лозова, вул. Михайла Грушевського, 7. Оренда – приміщення на 1-му поверсі площею 265,3 кв.м. (В)
3 183.60 грн
12.00 грн / м2
Приміщення
Харківська обл., м. Лозова, вул. Михайла Грушевського, 7. Оренда – приміщення на 1-му поверсі площею 265,3 кв.м. (В)
Україна, Харківська обл., м. Лозова, вул. Михайла Грушевського, 7
27.01.2023
Івано-Франківська обл., Івано-Франківський р-н, с.Росільна, вул. Шевченка, 145а. Оренда – Нежитлове приміщення І-го поверху, площею 33,4 м.кв. (В)
500.33 грн
14.98 грн / м2
Приміщення
Івано-Франківська обл., Івано-Франківський р-н, с.Росільна, вул. Шевченка, 145а. Оренда – Нежитлове приміщення І-го поверху, площею 33,4 м.кв. (В)
Україна, Івано-Франківська обл., Івано-Франківський р-н, с.Росільна, вул. Шевченка, 145а
21.02.2023
Полтавська обл., Полтавський р-н, смт. Чутове, вул. Центральна, 24. Оренда – Приміщення 1-го поверху площею 6,10 кв.м. (В)
500.81 грн
82.10 грн / м2
Приміщення
Полтавська обл., Полтавський р-н, смт. Чутове, вул. Центральна, 24. Оренда – Приміщення 1-го поверху площею 6,10 кв.м. (В)
Україна, Полтавська обл., Полтавський р-н, смт. Чутове, вул. Центральна, 24
Івано-Франківська обл., Коломийський р-н, смт.Заболотів, вул.Грушевського, 5. Оренда – Приміщення 2-го поверху, площею 304,1 м.кв. (В)
11 087.49 грн
36.46 грн / м2
Приміщення
Івано-Франківська обл., Коломийський р-н, смт.Заболотів, вул.Грушевського, 5. Оренда – Приміщення 2-го поверху, площею 304,1 м.кв. (В)
Україна, Івано-Франківська обл., Коломийський р-н, смт.Заболотів, вул.Грушевського, 5