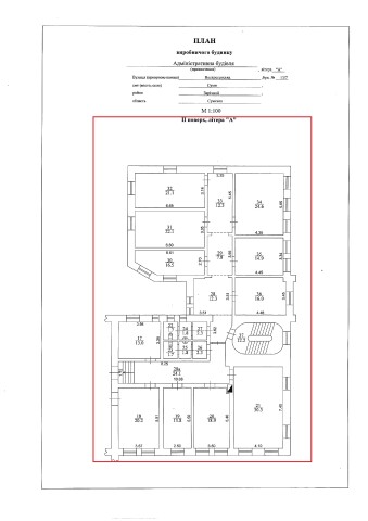
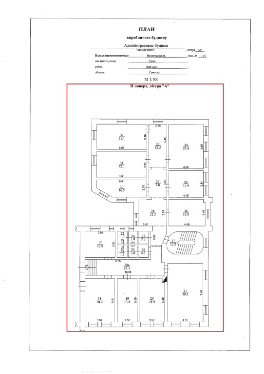
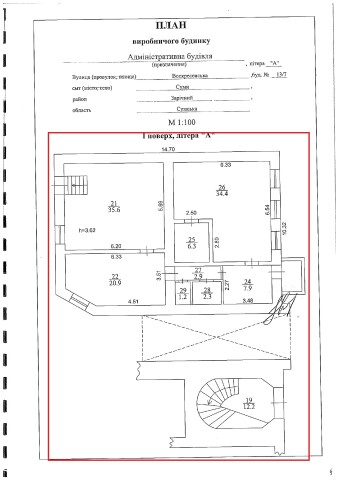
Сумська обл., м. Суми, вул. Воскресенська, буд. 13/7. Оренда – офісні приміщення 1 та 2-го поверхів площею 415,40 кв. м. (П)

47 201.07 грн
113.63 грн / м2
Україна, Сумська обл., м. Суми, вул. Воскресенська, буд. 13/7
Перейти до аукціону на сайті
  • Інформація
  • Опис
  • Документи
Дата оголошення пропозиції:
26 липня 2024
Площа:
415.40 м2
Тип об’єкта:
Офіс
Тип аукціону:
Англійський аукціон
Статус аукціону:
Аукціон не відбувся
Тип угоди:
Оренда
Розмір мінімального кроку:
500.00 ₴
Розмір гарантійного внеску:
28 320.64 ₴
Початок прийому пропозицій:
26.07.2024 12:57:06
Завершення прийому пропозицій:
26.08.2024 20:00:00
Проведення аукціону:
27.08.2024 11:10:00
Лот:
CLE001-UA-20240726-19660
№ лоту (УТК):
UTK260724_08P
Лот виставляється на торги (раз):
1
Стислий опис майна:
Пропонується до оренди офісні приміщення 1 та 2-го поверхів площею 415,40 кв.м. трьохповерхового будинку в центральній частині міста. Коммунікації відстутні. Можливість передачі приміщень в суборенду. Доступ вільний 24/7. Характеристики Кількість поверхів – 3; Загальна площа – 692,80 кв.м.; Площа запропонована до оренди – 415,40 кв.м; Електропостачання – відсутнє; Теплопостачання, водопостачання – відсутні; Земельна ділянка – 0,0502 га (договір оренди ЗД). Cтан приміщення – задовільний
Адреса місцезнаходження майна:
Україна, Сумська обл., м. Суми, вул. Воскресенська, буд. 13/7
Схожі пропозиції
14.02.2024
Сумська обл., м. Суми, вул. Іллінська, буд. 2. Оренда – офісні приміщення 3-го поверху площею 411,00 кв. м. (В)
24 138.03 грн
58.73 грн / м2
Офіс
Сумська обл., м. Суми, вул. Іллінська, буд. 2. Оренда – офісні приміщення 3-го поверху площею 411,00 кв. м. (В)
Україна, Сумська обл., м. Суми, вул. Іллінська, буд. 2
Сумська обл., Роменський р-н, смт. Липова Долина, вул. Загорянка, буд. 2. Оренда – офісні приміщення 1-го поверху площею 84,10 кв.м. (В)
508.81 грн
6.05 грн / м2
Офіс
Сумська обл., Роменський р-н, смт. Липова Долина, вул. Загорянка, буд. 2. Оренда – офісні приміщення 1-го поверху площею 84,10 кв.м. (В)
Україна, Сумська обл., Роменський р-н, смт. Липова Долина, вул. Загорянка, буд. 2
27.10.2023
Сумська обл., м. Суми, вул. Нижньосироватська, буд. 64;   Оренда – офісні приміщення 2-го поверху площею 40,5 кв.м. (В)
2 267.12 грн
55.98 грн / м2
Офіс
Сумська обл., м. Суми, вул. Нижньосироватська, буд. 64; Оренда – офісні приміщення 2-го поверху площею 40,5 кв.м. (В)
Україна, Сумська обл., Суми, вул. Нижньосироватська, буд. 64
Переглянуті пропозиції
01.11.2022
Полтавська обл., Кременчуцький р-н, м. Горішні Плавні, вулиця Миру, 18. Оренда – приміщення 3-го поверху площею 112,20 кв.м. (В)
6 008.31 грн
53.55 грн / м2
Приміщення
Полтавська обл., Кременчуцький р-н, м. Горішні Плавні, вулиця Миру, 18. Оренда – приміщення 3-го поверху площею 112,20 кв.м. (В)
Україна, Полтавська обл., Кременчуцький р-н, м. Горішні Плавні, вулиця Миру, 18
31.12.2024
Дніпропетровська обл., м. Кривий Ріг, вул. Водоп`янова, 1а;   Оренда – приміщення  1-го поверху, площею 282,5 кв.м. (В)
2 542.50 грн
9.00 грн / м2
Приміщення
Дніпропетровська обл., м. Кривий Ріг, вул. Водоп`янова, 1а; Оренда – приміщення 1-го поверху, площею 282,5 кв.м. (В)
Україна, Дніпропетровська обл., Кривий Ріг, вулиця Водоп'янова, 1а
21.06.2024
Львівська обл., м. Новий Розділ, пр. Шевченка, 30. Оренда – приміщення 2-го поверху, площею 17,80 кв. м. (В)
356.00 грн
20.00 грн / м2
Приміщення
Львівська обл., м. Новий Розділ, пр. Шевченка, 30. Оренда – приміщення 2-го поверху, площею 17,80 кв. м. (В)
Україна, Львівська обл., м. Новий Розділ, пр. Шевченка, 30
21.08.2024
Харківська обл., м. Харків, вул. Коцарська, 45, літера «А-4»;  Оренда – приміщення на 2-му поверсі площею 18,50 кв.м. (В)
994.56 грн
53.76 грн / м2
Приміщення
Харківська обл., м. Харків, вул. Коцарська, 45, літера «А-4»; Оренда – приміщення на 2-му поверсі площею 18,50 кв.м. (В)
Україна, Харківська обл., Харків, вулиця Коцарська, 45