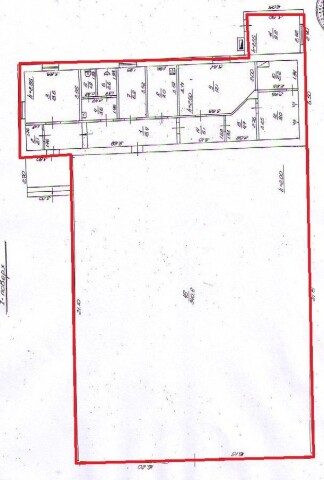
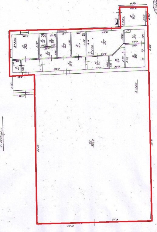
Рівненська обл., м. Рівне, вул. Боярка, 54 а, б. Оренда – комплекс будівель площею 620,1 м. кв. (В)

37 206.00 грн
60.00 грн / м2
Україна, Рівненська обл., м. Рівне, вул. Боярка, 54 а, б
Перейти до аукціону на сайті
  • Інформація
  • Опис
  • Документи
Дата оголошення пропозиції:
28 січня 2025
Площа:
620.10 м2
Тип об’єкта:
Будівля
Тип аукціону:
Англійський аукціон
Статус аукціону:
Аукціон не відбувся
Тип угоди:
Оренда
Розмір мінімального кроку:
600.00 ₴
Розмір гарантійного внеску:
22 323.60 ₴
Початок прийому пропозицій:
28.01.2025 10:24:46
Завершення прийому пропозицій:
27.02.2025 20:00:00
Проведення аукціону:
28.02.2025 12:50:00
Лот:
CLE001-UA-20250128-04795
№ лоту (УТК):
UTK040422_01P
Лот виставляється на торги (раз):
10
Стислий опис майна:
Пропонуються до оренди комплекс будівель, загальною площею 620,1 м.кв. Будівлі знаходиться на околиці міста, інфраструктура досить розвинена. Територія огороджена та частково впорядкована. Теплопостачання відсутнє. Електропостачання – в приміщеннях відсутнє, на території – можливість приєднання потужністю до 15 кВт . Характеристики: Кількість поверхів – 1 ; Загальна площа – 620,1 м.кв.; Площа, запропонована до оренди – 620,1 м.кв.; Водопостачання ; • Земельна ділянка - площа 0,3442 га.
Адреса місцезнаходження майна:
Україна, Рівненська обл., м. Рівне, вул. Боярка, 54 а, б
Схожі пропозиції
14.10.2025
Рівненська обл., Здолбунівський район, село Копиткове, вул. Шевченка, 1а. Оренда – будівля  площею 105,70 кв.м (В)
3 108.64 грн
29.41 грн / м2
Будівля
Рівненська обл., Здолбунівський район, село Копиткове, вул. Шевченка, 1а. Оренда – будівля площею 105,70 кв.м (В)
Україна, Рівненська обл., Копиткове, вул. Шевченка 1а
23.02.2024
Рівненська обл., Вараський р-н., с. Стара Рафалівка, вул. Центральна, 26а;   Оренда – будівля загальною площею 32 кв.м. (В)
551.68 грн
17.24 грн / м2
Будівля
Рівненська обл., Вараський р-н., с. Стара Рафалівка, вул. Центральна, 26а; Оренда – будівля загальною площею 32 кв.м. (В)
Україна, Рівненська обл., Стара Рафалівка, вул. Центральна, 26а
Рівненська обл., Варашський р-н, смт. Рафалівка, вул.Незалежності, 8А. Оренда – будівля складів з гаражем площею 117,4 кв. м.(В)
2 272.86 грн
19.36 грн / м2
Будівля
Рівненська обл., Варашський р-н, смт. Рафалівка, вул.Незалежності, 8А. Оренда – будівля складів з гаражем площею 117,4 кв. м.(В)
Україна, Рівненська обл., смт. Рафалівка, вул. Незалежності, 8А
01.11.2022
Рівненська обл., Вараський р-н., с. Стара Рафалівка, вул. Центральна, 26а. Оренда – будівля загальною площею 32 кв.м. (В)
604.48 грн
18.89 грн / м2
Будівля
Рівненська обл., Вараський р-н., с. Стара Рафалівка, вул. Центральна, 26а. Оренда – будівля загальною площею 32 кв.м. (В)
Україна, Рівненська обл., Стара Рафалівка, вул. Центральна, 26а
Переглянуті пропозиції
26.11.2025
м. Харків, Нетіченська набережна, 8. Оренда – приміщення 3-го поверху площею 11,10 кв.м  (В)
510.60 грн
46.00 грн / м2
Приміщення
м. Харків, Нетіченська набережна, 8. Оренда – приміщення 3-го поверху площею 11,10 кв.м (В)
Україна, Харківська обл., м. Харків, Нетіченська набережна, 8
13.01.2023
ДОВГОСТРОКОВА ОРЕНДА! Рівненська обл., м. Рівне, вул. В.Чорновола, 1. Оренда – приміщення 5-го поверху загальною площею 483,4 кв.м. (В)
57 157.22 грн
118.24 грн / м2
Приміщення
ДОВГОСТРОКОВА ОРЕНДА! Рівненська обл., м. Рівне, вул. В.Чорновола, 1. Оренда – приміщення 5-го поверху загальною площею 483,4 кв.м. (В)
Україна, Рівненська обл., Рівне, вулиця Вячеслава Чорновола, 1