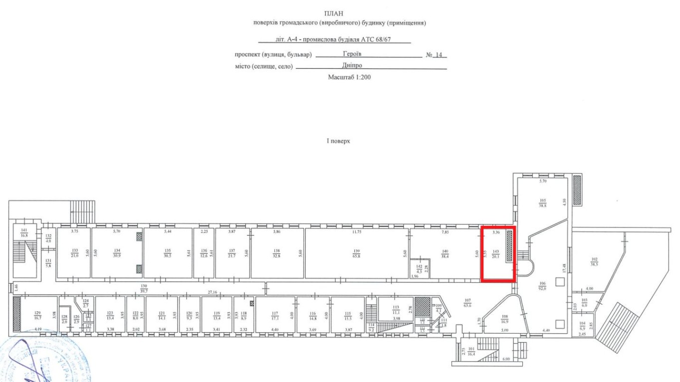
Дніпропетровська обл., м. Дніпро, проспект Героїв, 14. Оренда – приміщення 1-го поверху загальною площею 20,10 кв.м. (В)

1 546.09 грн
76.92 грн / м2
Україна, Дніпропетровська обл., м. Дніпро, проспект Героїв, 14
Перейти до аукціону на сайті
  • Інформація
  • Опис
  • Документи
Дата оголошення пропозиції:
17 жовтня 2025
Площа:
20.10 м2
Тип об’єкта:
Приміщення
Тип аукціону:
Англійський аукціон
Статус аукціону:
Прийняття заяв на участь
Тип угоди:
Оренда
Розмір мінімального кроку:
150.00 ₴
Розмір гарантійного внеску:
927.66 ₴
Початок прийому пропозицій:
17.10.2025 11:01:07
Завершення прийому пропозицій:
18.11.2025 20:00:00
Проведення аукціону:
19.11.2025 11:00:00
Лот:
CLE001-UA-20251017-54652
№ лоту (УТК):
UTK171025_06P
Лот виставляється на торги (раз):
1
Стислий опис майна:
Пропонується до оренди приміщення 1-го поверху загальною площею 20,10 кв.м. Розташування: будівля знаходиться в Соборному районі міста. Поруч знаходяться відділення банку, супермаркети, лікарня, зупинка громадського транспорту, високий автомобільний і пішохідний потоки. Стан приміщення – потребує ремонту. Можливість передачі в суборенду. Характеристики кількість поверхів – 4 Загальна площа – 3705,30 кв.м.; Площа запропонована до оренди – 20,10 кв.м. електропостачання, водопостачання, каналізаційна мережа, теплопостачання. земельна ділянка – 0,2755 га (договір оренди) Ресурсні податки – 6,88 грн. за 1 кв.м.
Адреса місцезнаходження майна:
Україна, Дніпропетровська обл., м. Дніпро, проспект Героїв, 14
Схожі пропозиції
06.06.2025
Дніпропетровська обл., м. Дніпро, вул. Січових Стрільців, 10. Оренда – приміщення 2-го поверху площею 103,60 кв.м (В)
11 748.24 грн
89.96 грн / м2
Приміщення
Дніпропетровська обл., м. Дніпро, вул. Січових Стрільців, 10. Оренда – приміщення 2-го поверху площею 103,60 кв.м (В)
Україна, Дніпропетровська обл., м. Дніпро, вул. Січових Стрільців, 10
18.07.2025
Дніпропетровська обл., м. Дніпро, вул. Князя Ярослава Мудрого, 3. Оренда – приміщення 5-го поверху площею 18,60 кв.м. (В)
558.00 грн
30.00 грн / м2
Приміщення
Дніпропетровська обл., м. Дніпро, вул. Князя Ярослава Мудрого, 3. Оренда – приміщення 5-го поверху площею 18,60 кв.м. (В)
Україна, Дніпропетровська обл., м. Дніпро, вул. Князя Ярослава Мудрого, 3
25.05.2023
Дніпропетровська обл., м. Кривий Ріг, вул. Водоп`янова, 1а. Оренда – приміщення 4-го поверху, площею 789,8 кв.м. (В)
25 399.97 грн
32.16 грн / м2
Приміщення
Дніпропетровська обл., м. Кривий Ріг, вул. Водоп`янова, 1а. Оренда – приміщення 4-го поверху, площею 789,8 кв.м. (В)
Україна, Дніпропетровська обл., Кривий Ріг, вулиця Водоп'янова, 1а
Дніпропетровська обл., м. Кам’янське, просп. Героїв АТО, 1. Оренда – приміщення 3-го поверху, площею 26,30 кв.м. (В)
500.23 грн
19.02 грн / м2
Приміщення
Дніпропетровська обл., м. Кам’янське, просп. Героїв АТО, 1. Оренда – приміщення 3-го поверху, площею 26,30 кв.м. (В)
Україна, Дніпропетровська обл., м. Кам’янське, просп. Героїв АТО, 1
Переглянуті пропозиції
28.05.2024
Одеська обл., м. Одеса, вул. Балківська, буд.№54. Оренда – приміщення 2-го поверху загальною площею 36,80 кв.м. (В)
3 480.18 грн
94.57 грн / м2
Приміщення
Одеська обл., м. Одеса, вул. Балківська, буд.№54. Оренда – приміщення 2-го поверху загальною площею 36,80 кв.м. (В)
Україна, Одеська обл., м. Одеса, вул. Балківська, буд.№54
Рівненська обл., м. Рівне вул. В. Чорновола, 1. Оренда – приміщення 1-го , 2-го та 3 –го поверху, загальною площею 115,2 м.кв. (В)
16 568.06 грн
143.82 грн / м2
Приміщення
Рівненська обл., м. Рівне вул. В. Чорновола, 1. Оренда – приміщення 1-го , 2-го та 3 –го поверху, загальною площею 115,2 м.кв. (В)
Україна, Рівненська обл., м. Рівне , вул. В. Чорновола, 1
15.07.2025
Полтавська обл., Кременчуцький р-н, м. Кременчук, вулиця В. Пугачова, 12. Оренда – приміщення площею 688,20 кв.м. (В)
8 258.40 грн
12.00 грн / м2
Приміщення
Полтавська обл., Кременчуцький р-н, м. Кременчук, вулиця В. Пугачова, 12. Оренда – приміщення площею 688,20 кв.м. (В)
Україна, Полтавська обл., Кременчуцький р-н, м. Кременчук, вул. В. Пугачова, 12
10.12.2024
ДОВГОСТРОКОВА ОРЕНДА! Дніпропетровська обл., м. Кривий Ріг, вул. Покровська, 29А. Оренда – приміщення 3-го поверху загальною площею 504,20 кв.м (прим. №404- 406) (В)