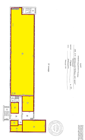
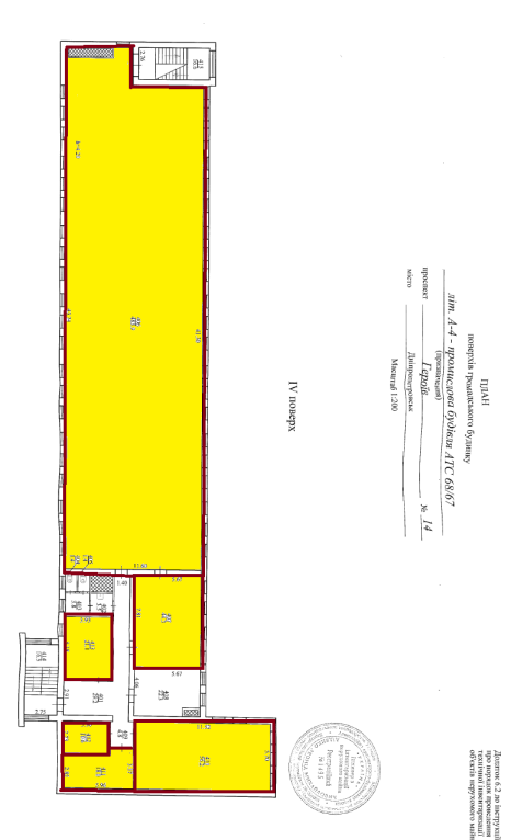
Дніпропетровська обл., м. Дніпро, проспект Героїв, 14. Оренда – приміщення 4-го поверху площею 644,10 кв.м. (В)

40 463.52 грн
62.82 грн / м2
Україна, Дніпропетровська обл., м. Дніпро, проспект Героїв, 14
Перейти до аукціону на сайті
  • Інформація
  • Опис
  • Документи
Дата оголошення пропозиції:
13 липня 2021
Площа:
644.10 м2
Тип об’єкта:
Приміщення
Тип аукціону:
Англійський аукціон
Статус аукціону:
Аукціон не відбувся
Тип угоди:
Оренда
Розмір мінімального кроку:
410.00 ₴
Розмір гарантійного внеску:
24 277.42 ₴
Початок прийому пропозицій:
13.07.2021 11:33:51
Завершення прийому пропозицій:
11.08.2021 20:00:00
Лот:
UA-PS-2021-07-13-000012-3
№ лоту (УТК):
UTK130721_07P
Лот виставляється на торги (раз):
1
Стислий опис майна:
Пропонується до оренди приміщення 4-го поверху, площею 644,10кв.м. Розташування - будівля знаходиться в Соборному районі міста на ж/м Перемога. Поруч знаходяться лікарні, відділення банку, супермаркети, зупинка громадського транспорту, високий автомобільний і пішохідний потоки. Стан приміщення задовільний, Ідеальне місце під розвиток будь-якого бізнесу. Можливість передачі приміщень в суборенду.Характеристики: Кількість поверхів – 4; Загальна площа – 3993,20 кв.м.; Площа запропонована до оренди – 644,10 кв.м.; Електропостачання, водопостачання, теплопостачання, охорона та обслуговування пожежної сигналізації, вивіз сміття, прибирання загальних місць та території; Земельна ділянка – 0, 3661 га (договір оренди)
Адреса місцезнаходження майна:
Україна, Дніпропетровська обл., м. Дніпро, проспект Героїв, 14
Схожі пропозиції
29.02.2024
Дніпропетровська обл., м. Дніпро, вул. Князя Ярослава Мудрого, 3. Оренда – приміщення 5-го поверху площею 58,20 кв.м. (В)
6 963.63 грн
119.65 грн / м2
Приміщення
Дніпропетровська обл., м. Дніпро, вул. Князя Ярослава Мудрого, 3. Оренда – приміщення 5-го поверху площею 58,20 кв.м. (В)
Україна, Дніпропетровська обл., м. Дніпро, вул. Князя Ярослава Мудрого, 3, вул. Дніпровська, 226
07.02.2025
Дніпропетровська обл., м. Кривий Ріг, вул. Дніпропетровське шосе, 48;  Оренда – приміщення 3-го поверху, площею 403,4 кв.м. (В)
6 204.29 грн
15.38 грн / м2
Приміщення
Дніпропетровська обл., м. Кривий Ріг, вул. Дніпропетровське шосе, 48; Оренда – приміщення 3-го поверху, площею 403,4 кв.м. (В)
Україна, Дніпропетровська обл., Кривий Ріг, вулиця Дніпровське шосе, 48
17.05.2024
Дніпропетровська обл., м. Кривий Ріг, вул. Дніпропетровське шосе, 48;  Оренда – приміщення 3-го поверху, площею 403,4 кв.м. (В)
6 204.29 грн
15.38 грн / м2
Приміщення
Дніпропетровська обл., м. Кривий Ріг, вул. Дніпропетровське шосе, 48; Оренда – приміщення 3-го поверху, площею 403,4 кв.м. (В)
Україна, Дніпропетровська обл., Кривий Ріг, вулиця Дніпровське шосе, 48
16.07.2024
Дніпропетровська обл., м. Дніпро, вул. Січових Стрільців, 10. Оренда – приміщення 1-го поверху площею 214,10 кв.м (В)
52 026.30 грн
243.00 грн / м2
Приміщення
Дніпропетровська обл., м. Дніпро, вул. Січових Стрільців, 10. Оренда – приміщення 1-го поверху площею 214,10 кв.м (В)
Україна, Дніпропетровська обл., м. Дніпро, вул. Січових Стрільців, 10
Переглянуті пропозиції
17.05.2024
Дніпропетровська обл., м. Дніпро, вул.Чернишевського, 27;   Оренда – приміщення 1-го поверху площею 19,8 кв.м.(В)
2 004.95 грн
101.26 грн / м2
Приміщення
Дніпропетровська обл., м. Дніпро, вул.Чернишевського, 27; Оренда – приміщення 1-го поверху площею 19,8 кв.м.(В)
Україна, Дніпропетровська обл., Дніпро, вулиця Чернишевського, 27
14.12.2023
Дніпропетровська обл., м. Кривий Ріг, вул. Дніпропетровське шосе, 48;  Оренда – приміщення 4-го поверху, площею 640,0 кв.м. (В)
5 254.40 грн
8.21 грн / м2
Приміщення
Дніпропетровська обл., м. Кривий Ріг, вул. Дніпропетровське шосе, 48; Оренда – приміщення 4-го поверху, площею 640,0 кв.м. (В)
Україна, Дніпропетровська обл., Кривий Ріг, вулиця Дніпровське шосе, 48
02.08.2024
Дніпропетровська обл., м. Верхньодніпровськ, вул. Титова, 8; Оренда – приміщення 3-го поверху, площею 169,4 кв.м. (В)
725.03 грн
4.28 грн / м2
Приміщення
Дніпропетровська обл., м. Верхньодніпровськ, вул. Титова, 8; Оренда – приміщення 3-го поверху, площею 169,4 кв.м. (В)
Україна, Дніпропетровська обл., Верхньодніпровськ, вул. Титова, 8
27.11.2025
Дніпропетровська обл., м. Дніпро, вул. Князя Ярослава Мудрого, 3. Оренда – приміщення 1-го поверху площею 32,8 кв.м.(В)
2 679.43 грн
81.69 грн / м2
Приміщення
Дніпропетровська обл., м. Дніпро, вул. Князя Ярослава Мудрого, 3. Оренда – приміщення 1-го поверху площею 32,8 кв.м.(В)
Україна, Дніпропетровська обл., Дніпро, вул. Князя Ярослава Мудрого, 3