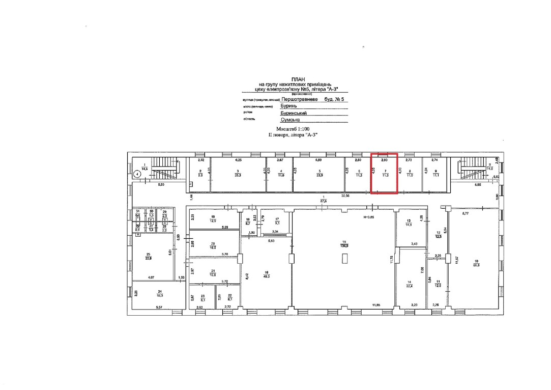
Сумська область, Конотопський р-н, м. Буринь, вул. Першотравнева, буд. 5; Оренда – приміщення 2-го поверху площею 11,30 кв. м. (В)

500.03 грн
44.25 грн / м2
Україна, Сумська обл., Буринь, вул. Першотравнева, буд. 5
Перейти до аукціону на сайті
  • Інформація
  • Опис
  • Документи
Дата оголошення пропозиції:
19 березня 2025
Площа:
11.30 м2
Тип об’єкта:
Приміщення
Тип аукціону:
Англійський аукціон
Статус аукціону:
Аукціон не відбувся
Тип угоди:
Оренда
Розмір мінімального кроку:
50.00 ₴
Розмір гарантійного внеску:
300.02 ₴
Початок прийому пропозицій:
19.03.2025 19:57:15
Завершення прийому пропозицій:
21.04.2025 20:00:00
Проведення аукціону:
22.04.2025 12:05:00
Лот:
CLE001-UA-20250319-88694
№ лоту (УТК):
UTK190124_07T
Лот виставляється на торги (раз):
10
Стислий опис майна:
Пропонується до оренди приміщення 2-го поверху площею 11,30 кв.м. триповерхової будівлі. Знаходиться в центральній частині міста. Добра візуалізація з дороги. Можливість передачі приміщення в суборенду. Доступ вільний 24/7. Характеристики • Кількість поверхів – 3 • Загальна площа – 2212,00 кв.м. • Площа запропонована до оренди – 11,30 кв.м. • Електропостачання, водопостачання, опалення - відсутнє; • Земельна ділянка – 0,7542 га (договір оренди ЗД) • Стан приміщення - задовільний.
Адреса місцезнаходження майна:
Україна, Сумська обл., Буринь, вул. Першотравнева, буд. 5
Схожі пропозиції
11.12.2024
Сумська обл., Конотопський р-н, с. Салтикове, вул. Петровського, буд. 9;   Оренда – нежитлове приміщення площею 16,6 кв.м. (В)
502.98 грн
30.30 грн / м2
Приміщення
Сумська обл., Конотопський р-н, с. Салтикове, вул. Петровського, буд. 9; Оренда – нежитлове приміщення площею 16,6 кв.м. (В)
Україна, Сумська обл., Салтикове, вул. Петровського, буд. 9
05.06.2024
Сумська обл., м. Шостка, вул. Бульварна, 7. Оренда – нежитлове приміщення 1-го поверху площею 207,20 кв.м. (В)
2 258.48 грн
10.90 грн / м2
Приміщення
Сумська обл., м. Шостка, вул. Бульварна, 7. Оренда – нежитлове приміщення 1-го поверху площею 207,20 кв.м. (В)
Україна, Сумська обл., м. Шостка, вул. Бульварна, 7
Сумська обл., м. Лебедин, вул. Героїв Майдану, буд. 25. Оренда – приміщення 3-го поверху площею 32,5 кв. м (В)
690.30 грн
21.24 грн / м2
Приміщення
Сумська обл., м. Лебедин, вул. Героїв Майдану, буд. 25. Оренда – приміщення 3-го поверху площею 32,5 кв. м (В)
Україна, Сумська обл., м. Лебедин, вул. Героїв Майдану, буд. 25
11.05.2023
Сумська обл., Конотопський р-н, с. Шпотівка, вул. Виробнича, буд. 20 Оренда – нежитлове приміщення площею 26,1 кв.м. (В)
501.12 грн
19.20 грн / м2
Приміщення
Сумська обл., Конотопський р-н, с. Шпотівка, вул. Виробнича, буд. 20 Оренда – нежитлове приміщення площею 26,1 кв.м. (В)
Україна, Сумська обл., Шпотівка, вул. Виробнича, буд. 20
Переглянуті пропозиції
29.06.2023
Дніпропетровська обл., м. Жовті Води, вул. Свободи, 39. Оренда – приміщення 3-го поверху площею 34,1 кв.м. (В)
854.75 грн
25.07 грн / м2
Приміщення
Дніпропетровська обл., м. Жовті Води, вул. Свободи, 39. Оренда – приміщення 3-го поверху площею 34,1 кв.м. (В)
Україна, Дніпропетровська обл., Жовті Води, бульвар Свободи, 39
30.05.2023
Кіровоградська обл., м. Долинська, вул. Волохінська, 1А. Оренда – комплекс будівель площею 275,50 кв.м.(В)
5 510.00 грн
20.00 грн / м2
Будівля
Кіровоградська обл., м. Долинська, вул. Волохінська, 1А. Оренда – комплекс будівель площею 275,50 кв.м.(В)
Україна, Кіровоградська обл., м. Долинська, вул. Волохінська, 1А
28.10.2025
Рівненська обл., Дубенський р-н. смт. Демидівка, вул. Миру, 28 Оренда – приміщення підвалу площею 84,90 м. кв. (В)
2 484.17 грн
29.26 грн / м2
Приміщення
Рівненська обл., Дубенський р-н. смт. Демидівка, вул. Миру, 28 Оренда – приміщення підвалу площею 84,90 м. кв. (В)
Україна, Рівненська обл., Демидівка, вулиця Миру, 28
15.10.2025
Полтавська обл., Полтавський р-н, cмт. Чутове, вул. Незалежності, 24. Оренда – приміщення 3-го поверху площею 30,60 кв.м. (В)
550.80 грн
18.00 грн / м2
Приміщення
Полтавська обл., Полтавський р-н, cмт. Чутове, вул. Незалежності, 24. Оренда – приміщення 3-го поверху площею 30,60 кв.м. (В)
Україна, Полтавська обл., Полтавський р-н, cмт. Чутове, вул. Незалежності, 24