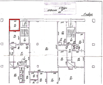
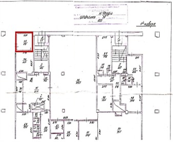
Львівська обл., м. Новий Розділ, пр. Шевченка, 30. Оренда – приміщення 1-го поверху, площею 8,90 кв.м. (В)

500.09 грн
56.19 грн / м2
Україна, Львівська обл., м. Новий Розділ, пр. Шевченка, 30
Перейти до аукціону на сайті
  • Інформація
  • Опис
  • Документи
Дата оголошення пропозиції:
25 січня 2023
Площа:
8.90 м2
Тип об’єкта:
Приміщення
Тип аукціону:
Англійський аукціон
Статус аукціону:
Аукціон не відбувся
Тип угоди:
Оренда
Розмір мінімального кроку:
30.00 ₴
Розмір гарантійного внеску:
300.05 ₴
Початок прийому пропозицій:
25.01.2023 11:14:43
Завершення прийому пропозицій:
27.02.2023 20:00:00
Проведення аукціону:
28.02.2023 12:35:00
Лот:
CLE001-UA-20230125-01958
№ лоту (УТК):
UTK130122_16P
Лот виставляється на торги (раз):
10
Стислий опис майна:
Пропонуються до оренди приміщення 1-го поверху, площею 8,90 кв.м. Будівля знаходиться в центральній частині міста, розвинена інфраструктура, високі автомобільний та пішохідний потоки.. Характеристики: кількість поверхів – 3; опалення централізоване, водопостачання, каналізація; Вільне до споживання електропостачання – 25 кВт; земельна ділянка – 0,4036 га (договір оренди)
Адреса місцезнаходження майна:
Україна, Львівська обл., м. Новий Розділ, пр. Шевченка, 30
Схожі пропозиції
Львівська обл., м. Жидачів, пл. Свободи, 8. Оренда – приміщення 2-го поверху площею 14,10 кв. м. (В)
474.61 грн
33.66 грн / м2
Приміщення
Львівська обл., м. Жидачів, пл. Свободи, 8. Оренда – приміщення 2-го поверху площею 14,10 кв. м. (В)
Україна, Львівська обл., м. Жидачів, пл. Свободи, 8
17.07.2025
ДОВГОСТРОКОВА ОРЕНДА! Львівська обл., м. Львів, вул. Берестяна, 2. Оренда – приміщення 5-го поверху площею 780,60 кв.м. (В)
46 836.00 грн
60.00 грн / м2
Приміщення
ДОВГОСТРОКОВА ОРЕНДА! Львівська обл., м. Львів, вул. Берестяна, 2. Оренда – приміщення 5-го поверху площею 780,60 кв.м. (В)
Україна, Львівська обл., м. Львів, вул. Берестяна, 2
23.02.2024
Львівська обл., м. Стрий, вул. Поштова, 5. Оренда – приміщення 3-го поверху площею 114,60 кв. м. (В)
2 062.80 грн
18.00 грн / м2
Приміщення
Львівська обл., м. Стрий, вул. Поштова, 5. Оренда – приміщення 3-го поверху площею 114,60 кв. м. (В)
Україна, Львівська обл., м. Стрий, вул. Поштова, 5, вул. Поштова, 5
30.07.2024
Львівська обл., смт Журавно, вул. Валова, 2;   Оренда – приміщення 2-го поверху площею 13,90 кв. м. (В)
278.00 грн
20.00 грн / м2
Приміщення
Львівська обл., смт Журавно, вул. Валова, 2; Оренда – приміщення 2-го поверху площею 13,90 кв. м. (В)
Україна, Львівська обл., Журавно, вул. Валова, 2
Переглянуті пропозиції
09.08.2023
м. Харків, вул. Конторська,14.Оренда – приміщення 4-го поверху площею 25,9 кв.м (В)
2 564.10 грн
99.00 грн / м2
Приміщення
м. Харків, вул. Конторська,14.Оренда – приміщення 4-го поверху площею 25,9 кв.м (В)
Україна, Харківська обл., м. Харків, вул. Конторська,14